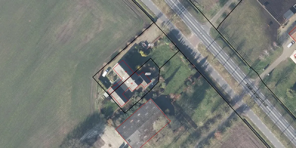
Perceel: DDN01-K-1200
KadastraleKaart.com kan meer dan je denktOntdek meer ›
Filter op bestemming 50+ datasets Eigendomsdata in één klik Percelen CRM
577 m2 - 103 m
Eigenaar opvragen
DDN01-K-1200 (Ambt-Delden)
- 7496 AX
EDjw w2v1Pgv0dIOHsHAOZfQlUpgrade naar KadastraleKaart Pro
Verkoopprijs opvragen
Bekijk op Street View
Download DWG/DXF/Excel
0SRHj0MAUpgrade naar KadastraleKaart Pro
t F8ZjNUxOzc Upgrade naar KadastraleKaart Pro
uPfC q PgqA11AzkywmVRYYUpgrade naar KadastraleKaart Pro
uQ63MKNuC tlxyOEklAdUpgrade naar KadastraleKaart Pro
j5sYIOG7nCD c3Qs2Upgrade naar KadastraleKaart Pro
3OcjRDr czvcBDEUpgrade naar KadastraleKaart Pro
6rsrS1cwB3oPHUTfupUpgrade naar KadastraleKaart Pro
biNutxif9 kbrUpgrade naar KadastraleKaart Pro
HyeU2UW DRg xnUpgrade naar KadastraleKaart Pro
d zrn1Qr0rLLiG4vNUpgrade naar KadastraleKaart Pro
12/07/2004

Percelen
Gebruik de zoekbalk of klik op een perceel om informatie over het perceel te bekijken.