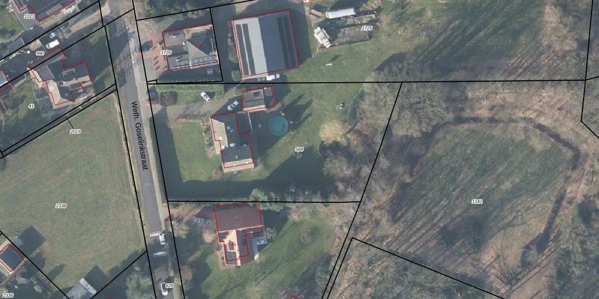
Perceel: DDN01-K-584
KadastraleKaart.com kan meer dan je denktOntdek meer ›
Filter op bestemming 50+ datasets Eigendomsdata in één klik Percelen CRM
3.020 m2 - 232 m
Eigenaar opvragen
DDN01-K-584 (Ambt-Delden)
- 7496 PB
dHQ Dmp847MxAZfoIUpgrade naar KadastraleKaart Pro
Bekijk op Street View
Download DWG/DXF/Excel
1bFfPM2e GZJUpgrade naar KadastraleKaart Pro
giLbGjMAIUpgrade naar KadastraleKaart Pro
hzAAjuNk 9EUpgrade naar KadastraleKaart Pro
CsM7J UAQCCRJ NXX0oUpgrade naar KadastraleKaart Pro
EYkkUGA ipAPAmfNUpgrade naar KadastraleKaart Pro
0AV1OCRsEDoNGhn RmgpBysUpgrade naar KadastraleKaart Pro
m 07l24q0GZanon2FfAKaHcUpgrade naar KadastraleKaart Pro
S aZSiaxGQBDUpgrade naar KadastraleKaart Pro
IhTvw UPVxvYMg edPUpgrade naar KadastraleKaart Pro
EIadyPenUpgrade naar KadastraleKaart Pro
06/03/2014

Percelen
Gebruik de zoekbalk of klik op een perceel om informatie over het perceel te bekijken.