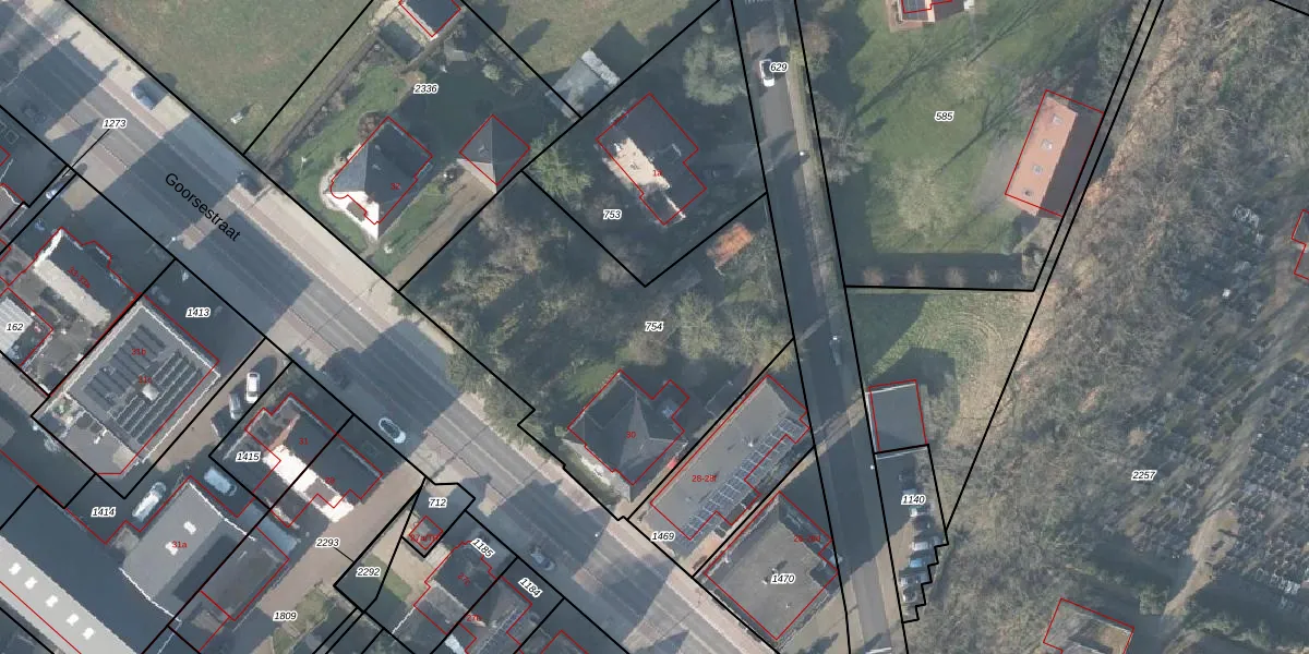
Perceel: DDN01-K-754
KadastraleKaart.com kan meer dan je denktOntdek meer ›
Filter op bestemming 50+ datasets Eigendomsdata in één klik Percelen CRM
1.670 m2 - 191 m
Eigenaar opvragen
DDN01-K-754 (Ambt-Delden)
- 7496 AE
vQhNEIxHyaFdMh UUpgrade naar KadastraleKaart Pro
Bekijk op Street View
Download DWG/DXF/Excel
d44Yp 6ZnEY9 8sUV5VLTw1Upgrade naar KadastraleKaart Pro
knljddjT HgoJeZnXRUpgrade naar KadastraleKaart Pro
1HECMK0LL99frUpgrade naar KadastraleKaart Pro
9 z H VdXP4XNaFUpgrade naar KadastraleKaart Pro
7x5uvSOiDueoU tCgSs PT Upgrade naar KadastraleKaart Pro
P utFr6rm86MfvysUpgrade naar KadastraleKaart Pro
cAL1YEWHRK3d4Ec6 PzUpgrade naar KadastraleKaart Pro
0PsqwKikMuZQJWUpgrade naar KadastraleKaart Pro
O kUB3zz7nt Bw5RrGAUpgrade naar KadastraleKaart Pro
6Zc LB sQnXOroC2Upgrade naar KadastraleKaart Pro
05/10/2010

Percelen
Gebruik de zoekbalk of klik op een perceel om informatie over het perceel te bekijken.