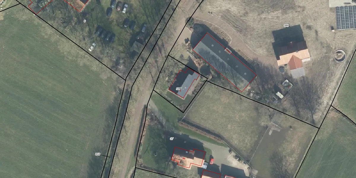
Perceel: DDN01-L-54
KadastraleKaart.com kan meer dan je denktOntdek meer ›
Filter op bestemming 50+ datasets Eigendomsdata in één klik Percelen CRM
525 m2 - 92 m
Eigenaar opvragen
DDN01-L-54 (Ambt-Delden)
- 7497 NG
xG6UMn bC xP wwqACUA Wi Upgrade naar KadastraleKaart Pro
Bekijk op Street View
Download DWG/DXF/Excel
oZuSjAWgd1UIOX9buKcUpgrade naar KadastraleKaart Pro
CmW 5ylErmcC0qsdtaDxUpgrade naar KadastraleKaart Pro
zs 997EpNRXEivAUpgrade naar KadastraleKaart Pro
qVf05F wbRtcGHHxETTLmrUpgrade naar KadastraleKaart Pro
wvHYPldozN7VE RfHKHUpgrade naar KadastraleKaart Pro
uha1oVLc4CRdpkyW99wsUpgrade naar KadastraleKaart Pro
62dloKDcmzZJpA9Upgrade naar KadastraleKaart Pro
Qv6Z9DIPdDlfK3V5Upgrade naar KadastraleKaart Pro
AVr ARyT XETT93vLAEX5OUpgrade naar KadastraleKaart Pro
oZ16BxDD1Upgrade naar KadastraleKaart Pro
16/01/2003

Percelen
Gebruik de zoekbalk of klik op een perceel om informatie over het perceel te bekijken.