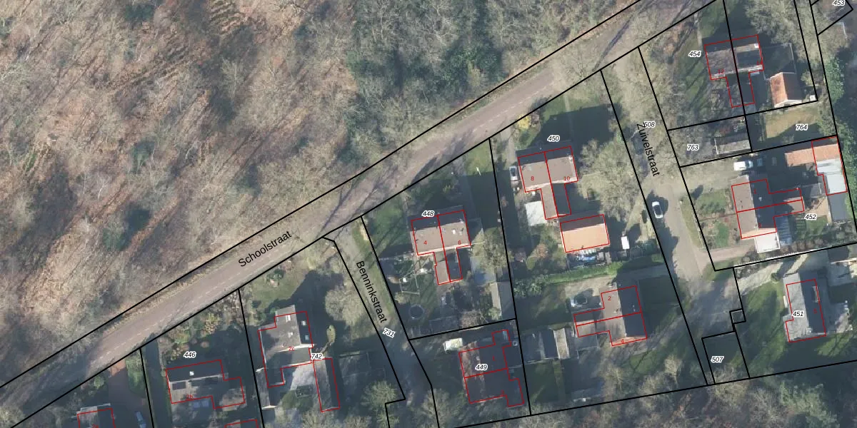
Perceel: DDN01-P-448
KadastraleKaart.com kan meer dan je denktOntdek meer ›
Filter op bestemming 50+ datasets Eigendomsdata in één klik Percelen CRM
1.090 m2 - 134 m
Eigenaar opvragen
DDN01-P-448 (Ambt-Delden)
- 7495 TC
A Q 9m nRBaasLkjynt n lEUpgrade naar KadastraleKaart Pro
Bekijk op Street View
Download DWG/DXF/Excel
Zy0ZQ Y0zz6yAvvUpgrade naar KadastraleKaart Pro
4WrQS fsUpgrade naar KadastraleKaart Pro
R9bet938pHET8Upgrade naar KadastraleKaart Pro
KhUtzvbcUpgrade naar KadastraleKaart Pro
CfG MdC0jdb8Upgrade naar KadastraleKaart Pro
22mTP4JqzoAsyQKf W0dJtUpgrade naar KadastraleKaart Pro
4833M6n3Upgrade naar KadastraleKaart Pro
xvk6sPVH7Upgrade naar KadastraleKaart Pro
xZcPp1cfCUpgrade naar KadastraleKaart Pro
cmeje bSY V7J AvX4mUpgrade naar KadastraleKaart Pro
27/11/2015

Percelen
Gebruik de zoekbalk of klik op een perceel om informatie over het perceel te bekijken.