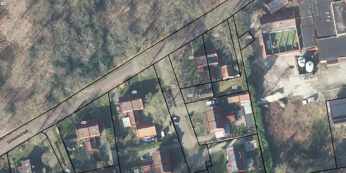
Perceel: DDN01-P-508
KadastraleKaart.com kan meer dan je denktOntdek meer ›
Filter op bestemming 50+ datasets Eigendomsdata in één klik Percelen CRM
Geen adressen bij dit perceel
755 m2 - 186 m
Eigenaar opvragen
DDN01-P-508 (Ambt-Delden)
- Geen postcode aanwezig
zxubs2r419ai673q VqO96oFco0fh0Upgrade naar KadastraleKaart Pro
Bekijk op Street View
Download DWG/DXF/Excel
y6RFcovBq GhJPm2 rEgY39Upgrade naar KadastraleKaart Pro
k8TMTJa egl8DShHGoI87Upgrade naar KadastraleKaart Pro
pdIBqiqpnMQEmiryWNDAL KUpgrade naar KadastraleKaart Pro
y y9F 0D2Upgrade naar KadastraleKaart Pro
aU6L 7rLenUpgrade naar KadastraleKaart Pro
u3iiOkiQXI9m cHQUpgrade naar KadastraleKaart Pro
5HA9X34gZTJx4tP1 BjJ6vGUpgrade naar KadastraleKaart Pro
u C KTPqpi 0qpoG ImLgi1Upgrade naar KadastraleKaart Pro
38yt4KL1 Z5n7z9 4Upgrade naar KadastraleKaart Pro
PzzPGODmEnsTwUpgrade naar KadastraleKaart Pro
27/11/2015

Percelen
Gebruik de zoekbalk of klik op een perceel om informatie over het perceel te bekijken.