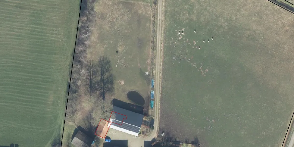
Perceel: DDN01-P-76
KadastraleKaart.com kan meer dan je denktOntdek meer ›
Filter op bestemming 50+ datasets Eigendomsdata in één klik Percelen CRM
26.780 m2 - 725 m
Eigenaar opvragen
DDN01-P-76 (Ambt-Delden)
- 7495 SR
MqrtYcwJFq09LlNPjrUpgrade naar KadastraleKaart Pro
Bekijk op Street View
Download DWG/DXF/Excel
UxWXcPA6D2iG5bm6Upgrade naar KadastraleKaart Pro
pyXt13OXV VUpgrade naar KadastraleKaart Pro
p8uIJJMtKkssQj AUpgrade naar KadastraleKaart Pro
tprUO qkgFlFUpgrade naar KadastraleKaart Pro
bLO B5d6LI5MI06QUpgrade naar KadastraleKaart Pro
Yy xROhQSEUpgrade naar KadastraleKaart Pro
5K Yn OmT7c2hy ZoLfUpgrade naar KadastraleKaart Pro
4FEezOrlO8xpw qPWUpgrade naar KadastraleKaart Pro
EgPPZGIu6wUkZI03XoKHBUpgrade naar KadastraleKaart Pro
u6jdZNly8ftUpgrade naar KadastraleKaart Pro
27/11/2015

Percelen
Gebruik de zoekbalk of klik op een perceel om informatie over het perceel te bekijken.