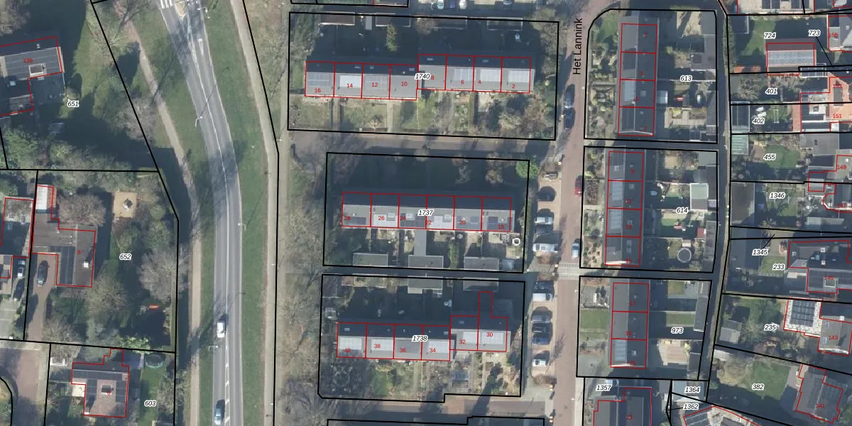
Perceel: DDN02-B-1737
KadastraleKaart.com kan meer dan je denktOntdek meer ›
Filter op bestemming 50+ datasets Eigendomsdata in één klik Percelen CRM
1.256 m2 - 147 m
Eigenaar opvragen
DDN02-B-1737 (Stad-Delden)
- 7491 GK
Tn2F 4aTsZ gG8hD ugG yUpgrade naar KadastraleKaart Pro
Bekijk op Street View
Download DWG/DXF/Excel
cC2mTBY jQvLUpgrade naar KadastraleKaart Pro
t4am1Sm5wtEUpgrade naar KadastraleKaart Pro
Tgf4m5la442jGmUpgrade naar KadastraleKaart Pro
P5WaX0ZZLl4xTwUpgrade naar KadastraleKaart Pro
oNS98AQ AgOatkBvXUpgrade naar KadastraleKaart Pro
xcsTiFiv8X0Upgrade naar KadastraleKaart Pro
kTSU3Nft5JUpgrade naar KadastraleKaart Pro
108MirUWtmUpgrade naar KadastraleKaart Pro
ILUB BT JUpgrade naar KadastraleKaart Pro
Z7Mfb466spUpgrade naar KadastraleKaart Pro
04/05/2020

Percelen
Gebruik de zoekbalk of klik op een perceel om informatie over het perceel te bekijken.