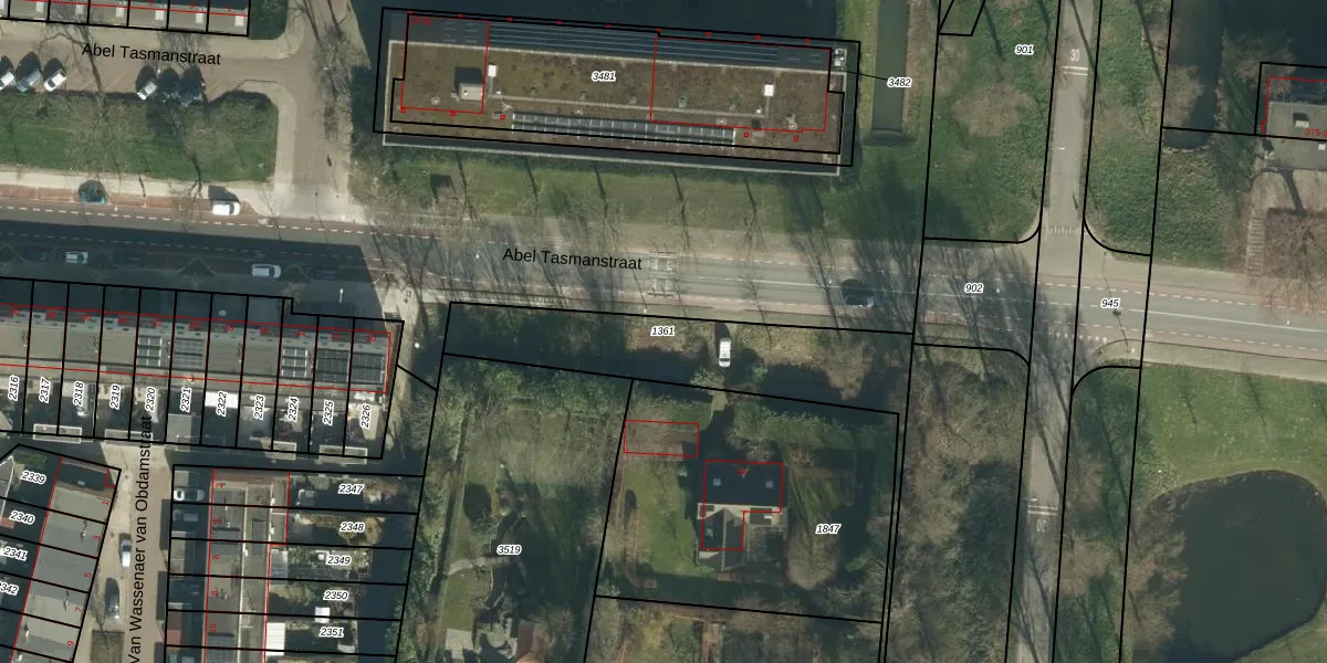
Perceel: DDT00-M-1361
KadastraleKaart.com kan meer dan je denktOntdek meer ›
Filter op bestemming 50+ datasets Eigendomsdata in één klik Percelen CRM
Geen adressen bij dit perceel
890 m2 - 466 m
Eigenaar opvragen
DDT00-M-1361 (Dordrecht)
- Geen postcode aanwezig
0fQlbC Yor ulE qMgsNVpAPUpgrade naar KadastraleKaart Pro
Bekijk op Street View
Download DWG/DXF/Excel
FAsrKgW1FcV0RdEbzga2euDUpgrade naar KadastraleKaart Pro
m1zB6 onliNfcJfUpgrade naar KadastraleKaart Pro
m54Ax4eVDBqr6J0A 0h Upgrade naar KadastraleKaart Pro
1Wx7b t4nrm4bb250Upgrade naar KadastraleKaart Pro
MQQ0R2tubbPeChWTycOoUpgrade naar KadastraleKaart Pro
FtbR Cf1 MueQ4Rhg9GdOUpgrade naar KadastraleKaart Pro
m9iy s1k ZNlPb5mcwUpgrade naar KadastraleKaart Pro
r0T86eYRkzyNra4 laYUpgrade naar KadastraleKaart Pro
8JeHbMEeMUpgrade naar KadastraleKaart Pro
GSeamx8k3wFJLAafaUpgrade naar KadastraleKaart Pro
10/04/2014

Percelen
Gebruik de zoekbalk of klik op een perceel om informatie over het perceel te bekijken.