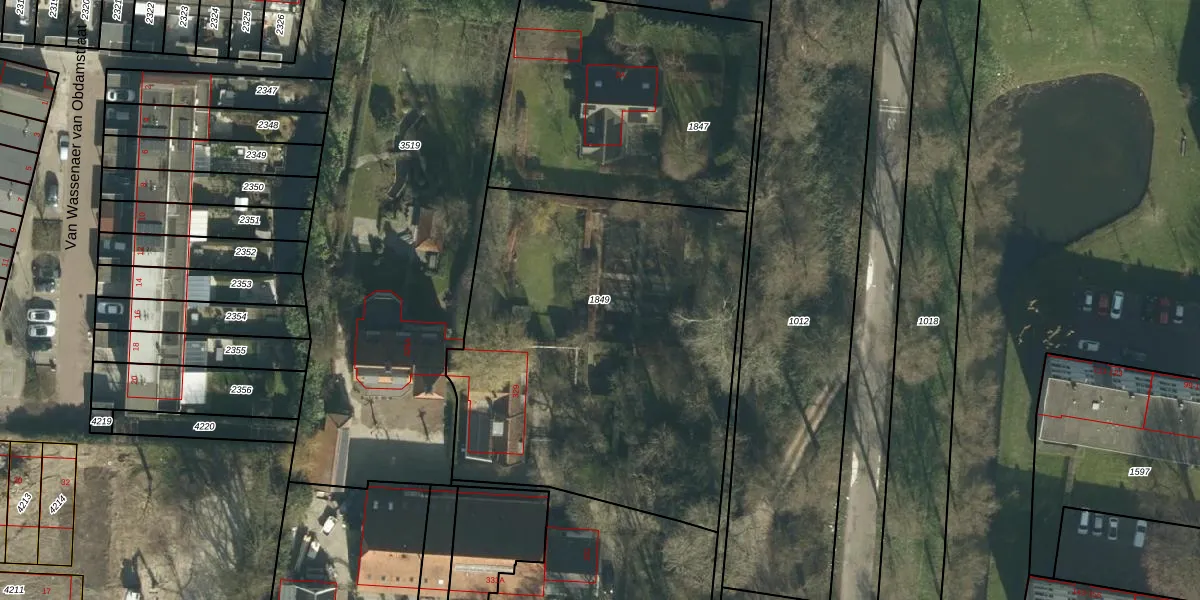
Perceel: DDT00-M-1849
KadastraleKaart.com kan meer dan je denktOntdek meer ›
Filter op bestemming 50+ datasets Eigendomsdata in één klik Percelen CRM
2.250 m2 - 195 m
Eigenaar opvragen
DDT00-M-1849 (Dordrecht)
- 3317 NR
Si1hsiTQB cKp2Ii1Upgrade naar KadastraleKaart Pro
Bekijk op Street View
Download DWG/DXF/Excel
xdV2SDslYLcGkEUpgrade naar KadastraleKaart Pro
0h aoKMaVUpgrade naar KadastraleKaart Pro
MAyYN VVL8lwfwOBUpgrade naar KadastraleKaart Pro
xOTS5xnKT1sBIBlmQG3Upgrade naar KadastraleKaart Pro
D 4lbZRzPUpgrade naar KadastraleKaart Pro
3IcqpCyjDuVQQe6 7SQZiezUpgrade naar KadastraleKaart Pro
5 864X cwuUcP4vWcI4bBUpgrade naar KadastraleKaart Pro
9AXz689NZYN MKP78ME1Z Upgrade naar KadastraleKaart Pro
K9O1 YTWu uiUpgrade naar KadastraleKaart Pro
lg0tmo Zh 56i7kP09JqLUpgrade naar KadastraleKaart Pro
21/03/2012

Percelen
Gebruik de zoekbalk of klik op een perceel om informatie over het perceel te bekijken.