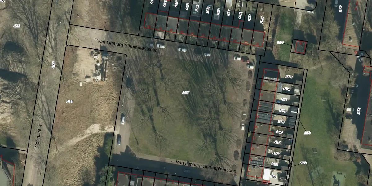
Perceel: DDT00-M-2137
KadastraleKaart.com kan meer dan je denktOntdek meer ›
Filter op bestemming 50+ datasets Eigendomsdata in één klik Percelen CRM
Geen adressen bij dit perceel
5.455 m2 - 353 m
Eigenaar opvragen
DDT00-M-2137 (Dordrecht)
- Geen postcode aanwezig
yiiaV 9jfigA24 D0 v2OUpgrade naar KadastraleKaart Pro
Bekijk op Street View
Download DWG/DXF/Excel
fZa6GPXeN7xnN8cv12PNABUpgrade naar KadastraleKaart Pro
ZURgEZY OpvKgijUg4rl3oUpgrade naar KadastraleKaart Pro
IikfcgZBawTTcUpgrade naar KadastraleKaart Pro
F4h Uo7rH mPfWZjaVFUpgrade naar KadastraleKaart Pro
H7LjpqlfzQ2cDpptna9var5Upgrade naar KadastraleKaart Pro
l4WlPNed4Q YkN22PWQBGSBUpgrade naar KadastraleKaart Pro
P1EVomYOUpgrade naar KadastraleKaart Pro
68ja vKNAGUpgrade naar KadastraleKaart Pro
c5WIPHzyu4AA09SJ4Upgrade naar KadastraleKaart Pro
xquKpIhIGCmpjYIGDT0nYUpgrade naar KadastraleKaart Pro
05/11/2009

Percelen
Gebruik de zoekbalk of klik op een perceel om informatie over het perceel te bekijken.