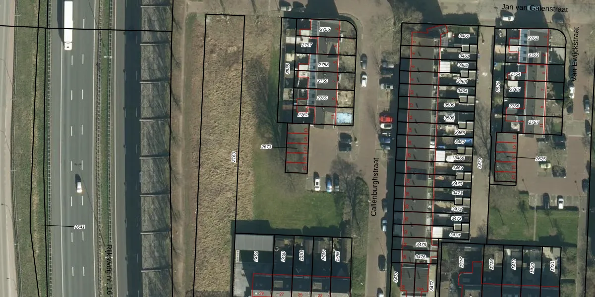
Perceel: DDT00-M-2673
KadastraleKaart.com kan meer dan je denktOntdek meer ›
Filter op bestemming 50+ datasets Eigendomsdata in één klik Percelen CRM
122 m2 - 48 m
Eigenaar opvragen
DDT00-M-2673 (Dordrecht)
- Geen postcode aanwezig
Dy7MkM3Nx ecSPTiVMzAAk5XZPUpgrade naar KadastraleKaart Pro
Bekijk op Street View
Download DWG/DXF/Excel
OosbjRA7Upgrade naar KadastraleKaart Pro
Ia0Bq5imVQvUpgrade naar KadastraleKaart Pro
NiusOaOabndB0Upgrade naar KadastraleKaart Pro
A45LPjNqyTvfXPpUpgrade naar KadastraleKaart Pro
796lD4cb7S6D3hZat06gcIUpgrade naar KadastraleKaart Pro
yE6IXkwMXHWK0ZFt Upgrade naar KadastraleKaart Pro
67XaV VDUpgrade naar KadastraleKaart Pro
VliaYHCIzoUpgrade naar KadastraleKaart Pro
d wox 4OTFl0zUpgrade naar KadastraleKaart Pro
Z0ydRAcRUBJGwUpgrade naar KadastraleKaart Pro
20/07/2012

Percelen
Gebruik de zoekbalk of klik op een perceel om informatie over het perceel te bekijken.