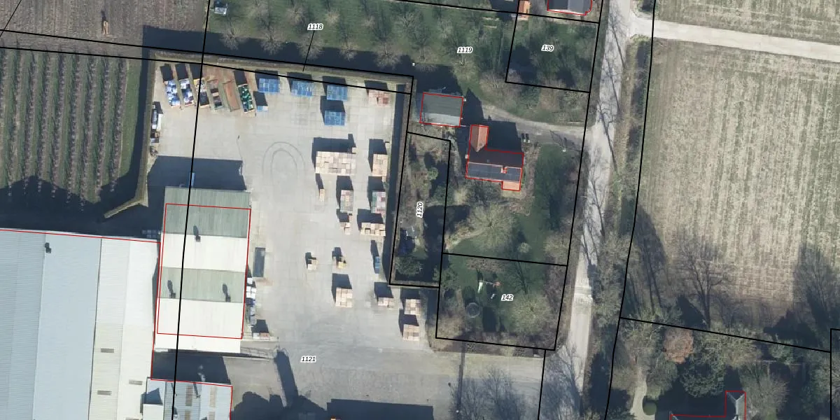
Perceel: DDW00-D-1120
KadastraleKaart.com kan meer dan je denktOntdek meer ›
Filter op bestemming 50+ datasets Eigendomsdata in één klik Percelen CRM
Geen adressen bij dit perceel
365 m2 - 94 m
Eigenaar opvragen
DDW00-D-1120 (Dodewaard)
- Geen postcode aanwezig
rH8mhAl9O9v6q80B3RgooUpgrade naar KadastraleKaart Pro
Bekijk op Street View
Download DWG/DXF/Excel
rr ibOIeUpgrade naar KadastraleKaart Pro
S72L78DvFWUpgrade naar KadastraleKaart Pro
XWK7XO9G8C FAzmUpgrade naar KadastraleKaart Pro
iUvZA7DxNJ3kp14BkCqG3Upgrade naar KadastraleKaart Pro
x SY0 eaO9wW3Q5Iky63Upgrade naar KadastraleKaart Pro
kSA1lYMOBu1Hazq 9LUpgrade naar KadastraleKaart Pro
Wvs8Bvk0cxo3gN08pmH9CtUpgrade naar KadastraleKaart Pro
kOk9QAAccYJU5bDp whUpgrade naar KadastraleKaart Pro
to0cwNeRngmuNSxWkOUpgrade naar KadastraleKaart Pro
CyDOIBFQcuOuFngO8VmUpgrade naar KadastraleKaart Pro
19/11/2019

Percelen
Gebruik de zoekbalk of klik op een perceel om informatie over het perceel te bekijken.