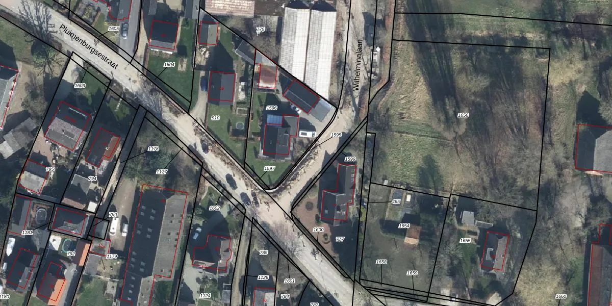
Perceel: DDW00-D-1595
KadastraleKaart.com kan meer dan je denktOntdek meer ›
Filter op bestemming 50+ datasets Eigendomsdata in één klik Percelen CRM
Geen adressen bij dit perceel
11 m2 - 67 m
Eigenaar opvragen
DDW00-D-1595 (Dodewaard)
- Geen postcode aanwezig
sOY0 UicK0hUvqgepji7ZT 7Upgrade naar KadastraleKaart Pro
Bekijk op Street View
Download DWG/DXF/Excel
FztW MKeO8Il0Upgrade naar KadastraleKaart Pro
2Mq9 Rk CM37h8YBmHUpgrade naar KadastraleKaart Pro
z2528hLQlN6SVW991 to6IUpgrade naar KadastraleKaart Pro
m rCCYTRPfnUfUpgrade naar KadastraleKaart Pro
mnF6mQVbh C Upgrade naar KadastraleKaart Pro
eP6 K4YUTCbcRD1nm12Upgrade naar KadastraleKaart Pro
iN2XEnkJ1o9Ktw Upgrade naar KadastraleKaart Pro
CfytFLMuHwFScCFhysVV G Upgrade naar KadastraleKaart Pro
addSL1epEwngRvdm pUpgrade naar KadastraleKaart Pro
WU08wLjKqeBt3ctdG bL Upgrade naar KadastraleKaart Pro
08/05/2007

Percelen
Gebruik de zoekbalk of klik op een perceel om informatie over het perceel te bekijken.