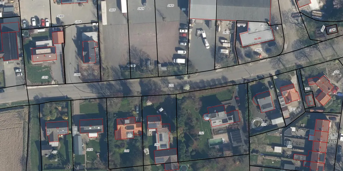
Perceel: DEI00-L-231
KadastraleKaart.com kan meer dan je denktOntdek meer ›
Filter op bestemming 50+ datasets Eigendomsdata in één klik Percelen CRM
Geen adressen bij dit perceel
2.255 m2 - 438 m
Eigenaar opvragen
DEI00-L-231 (Deil)
- Geen postcode aanwezig
EOozRgC2lxRqpqE0 kwA5cp XLCayUpgrade naar KadastraleKaart Pro
Bekijk op Street View
Download DWG/DXF/Excel
jBZH05S3ZGNU 1575DUpgrade naar KadastraleKaart Pro
x3mFvj LUjI6FZMLnFUpgrade naar KadastraleKaart Pro
PGIfOSyC6T5FPypZWYCpoZpUpgrade naar KadastraleKaart Pro
c1hjzuN D5yVUpgrade naar KadastraleKaart Pro
LLPa h 65cQ6NpHUpgrade naar KadastraleKaart Pro
29Q0b uMGR MZ7JHFdgUpgrade naar KadastraleKaart Pro
Vy14VgSxUpgrade naar KadastraleKaart Pro
6YD4O8fJ qV4ba6wBiQa42yUpgrade naar KadastraleKaart Pro
r3d5yxP dS7N6BFpJY2 Upgrade naar KadastraleKaart Pro
YyFr3o 33k FqHbQ8e2mQVRUpgrade naar KadastraleKaart Pro
06/03/2017

Percelen
Gebruik de zoekbalk of klik op een perceel om informatie over het perceel te bekijken.