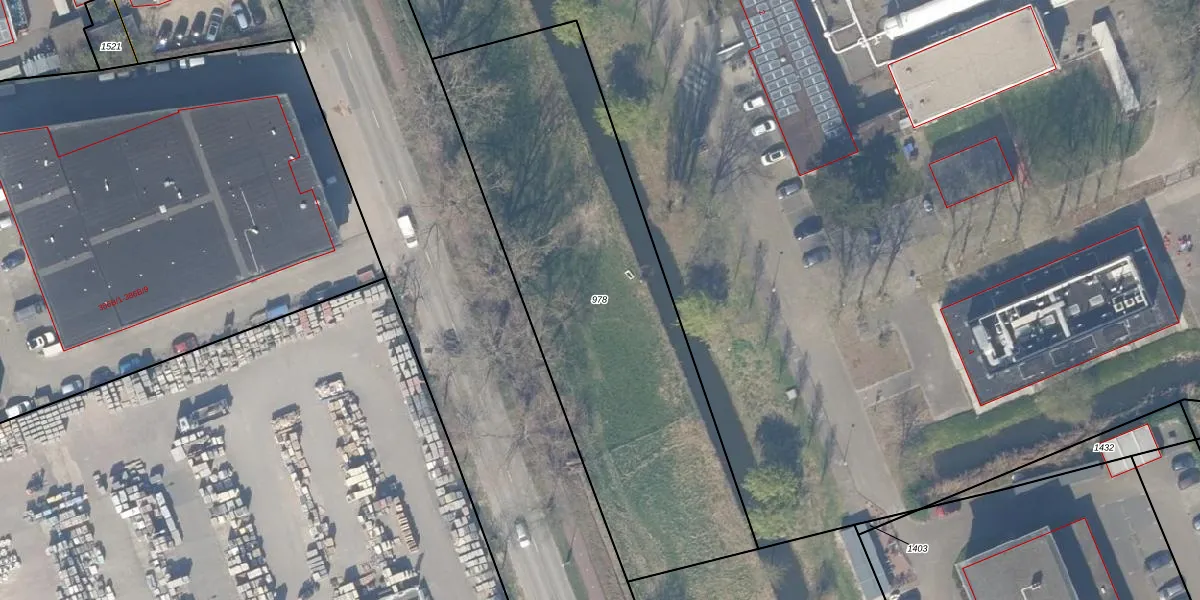
Perceel: DEL00-L-978
KadastraleKaart.com kan meer dan je denktOntdek meer ›
Filter op bestemming 50+ datasets Eigendomsdata in één klik Percelen CRM
Geen adressen bij dit perceel
2.300 m2 - 234 m
Eigenaar opvragen
DEL00-L-978 (Delft)
- Geen postcode aanwezig
RH8693c ES7NmyuWaGAUpgrade naar KadastraleKaart Pro
Bekijk op Street View
Download DWG/DXF/Excel
pXwC Wau8JXtUpgrade naar KadastraleKaart Pro
IzWb7rpzJVsIRw ZUpgrade naar KadastraleKaart Pro
ph7p6HiqWGS5Upgrade naar KadastraleKaart Pro
zldkhJO9wbroF0H Owg1 Upgrade naar KadastraleKaart Pro
y8 ZB9c dOHgkUpgrade naar KadastraleKaart Pro
EfqP 0WKhrDVN2gmoC01NUpgrade naar KadastraleKaart Pro
LJSxErr A l1aoCXRF1s2cUpgrade naar KadastraleKaart Pro
K2S1QTVXXnoMFqQI4gUpgrade naar KadastraleKaart Pro
JGxbfU2Oy6DYh4 J3CXjeUUpgrade naar KadastraleKaart Pro
ziF fh4XrU7BKt2 HnBUpgrade naar KadastraleKaart Pro
25/09/2001

Percelen
Gebruik de zoekbalk of klik op een perceel om informatie over het perceel te bekijken.