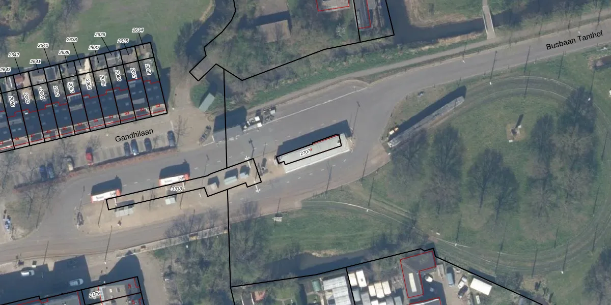
Perceel: DEL00-S-2707
KadastraleKaart.com kan meer dan je denktOntdek meer ›
Filter op bestemming 50+ datasets Eigendomsdata in één klik Percelen CRM
75 m2 - 51 m
Eigenaar opvragen
DEL00-S-2707 (Delft)
- 2622 GD
HFqkB qAW N3BugSUFduy84 QbUzZUpgrade naar KadastraleKaart Pro
Bekijk op Street View
Download DWG/DXF/Excel
1u 8G7yYTkUpgrade naar KadastraleKaart Pro
K8ExXIgu7rPUpgrade naar KadastraleKaart Pro
G VA7CzvUpgrade naar KadastraleKaart Pro
sEixh8 3rXfCwUpgrade naar KadastraleKaart Pro
c5ACK9ZR6sXvG qGUpgrade naar KadastraleKaart Pro
QkZXpHiAsQjuGUpgrade naar KadastraleKaart Pro
hyxGlhbGwuhGIrl rUpgrade naar KadastraleKaart Pro
q hrthK1 mOBl Upgrade naar KadastraleKaart Pro
lNuPO mIkUpgrade naar KadastraleKaart Pro
QeX1YUAf7CnVZHxfkQ5LUpgrade naar KadastraleKaart Pro
23/02/2007

Percelen
Gebruik de zoekbalk of klik op een perceel om informatie over het perceel te bekijken.