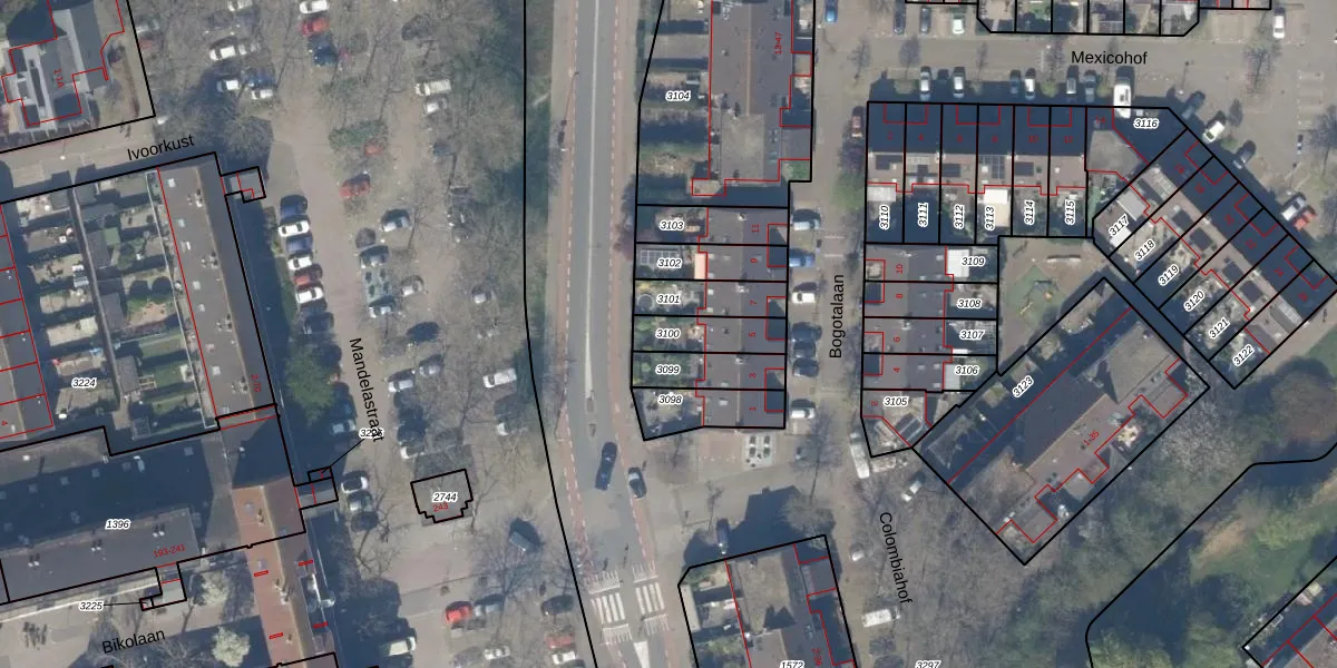
Perceel: DEL00-S-3100
KadastraleKaart.com kan meer dan je denktOntdek meer ›
Filter op bestemming 50+ datasets Eigendomsdata in één klik Percelen CRM
124 m2 - 57 m
Eigenaar opvragen
DEL00-S-3100 (Delft)
- 2622 AA
eXzbMSALUNW6jFewgkjj4sojB0AUpgrade naar KadastraleKaart Pro
Verkoopprijs opvragen
Bekijk op Street View
Download DWG/DXF/Excel
Kp OMKy7INkwSWtveVJajFtUpgrade naar KadastraleKaart Pro
Rud4mUv 2UMevhJawr7KKdUpgrade naar KadastraleKaart Pro
3 ZMsqX zecZrjYw Upgrade naar KadastraleKaart Pro
u0g d e9gxUpgrade naar KadastraleKaart Pro
x 7nByGggCeDTCk CxXRRgtUpgrade naar KadastraleKaart Pro
SV0I 8ns 52c jUpgrade naar KadastraleKaart Pro
OO3QcEnxUpgrade naar KadastraleKaart Pro
4JntQAcMpOYALggUpgrade naar KadastraleKaart Pro
ewMkGhRJKF Upgrade naar KadastraleKaart Pro
zo2hPbb Upgrade naar KadastraleKaart Pro
30/12/2005

Percelen
Gebruik de zoekbalk of klik op een perceel om informatie over het perceel te bekijken.