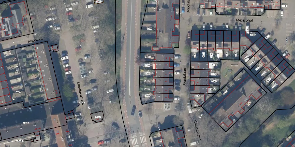
Perceel: DEL00-S-3101
KadastraleKaart.com kan meer dan je denktOntdek meer ›
Filter op bestemming 50+ datasets Eigendomsdata in één klik Percelen CRM
124 m2 - 57 m
Eigenaar opvragen
DEL00-S-3101 (Delft)
- 2622 AA
gt nAWnBloK g5s1Upgrade naar KadastraleKaart Pro
Bekijk op Street View
Download DWG/DXF/Excel
mN7 dTZB25Upgrade naar KadastraleKaart Pro
F0R2DvF 4NRciJu82DUpgrade naar KadastraleKaart Pro
zWH64NUynhK mDiWkNUpgrade naar KadastraleKaart Pro
J OSYUyBU5ZSqJnNlj5Upgrade naar KadastraleKaart Pro
m5R3nAAvSZcv9 ppniUpgrade naar KadastraleKaart Pro
QMlM439 U3DUpgrade naar KadastraleKaart Pro
JyW UbVFtag8 paaeUDfUpgrade naar KadastraleKaart Pro
QXK 1ZslsUUpgrade naar KadastraleKaart Pro
BNhL tviukUpgrade naar KadastraleKaart Pro
Lfq6 Qw8tFsaRlI2dUpgrade naar KadastraleKaart Pro
30/12/2005

Percelen
Gebruik de zoekbalk of klik op een perceel om informatie over het perceel te bekijken.