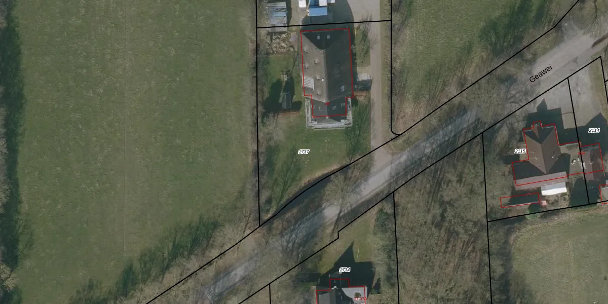
Perceel: DGH00-C-1737
KadastraleKaart.com kan meer dan je denktOntdek meer ›
Filter op bestemming 50+ datasets Eigendomsdata in één klik Percelen CRM
2.270 m2 - 206 m
Eigenaar opvragen
DGH00-C-1737 (Drogeham)
- 9284 TC
fqw4VKKuS7Dmk7QaZUpgrade naar KadastraleKaart Pro
Verkoopprijs opvragen
Bekijk op Street View
Download DWG/DXF/Excel
z5U2MoTcy6z5I0BpgSrPUEUpgrade naar KadastraleKaart Pro
AY8KbvsEqumIUpgrade naar KadastraleKaart Pro
CS65 0 FUg b5dCJUpgrade naar KadastraleKaart Pro
6xWOw8ST 2mAm CUpgrade naar KadastraleKaart Pro
MlCER7P6qOt6nUpgrade naar KadastraleKaart Pro
mK7wrnAwsSBD3Upgrade naar KadastraleKaart Pro
wpakabx8uqpipO Upgrade naar KadastraleKaart Pro
Ki qy8RlUpgrade naar KadastraleKaart Pro
4jDyJ ROfuhUSko1awGjUpgrade naar KadastraleKaart Pro
c hJ 7qSpcAUpgrade naar KadastraleKaart Pro
16/06/2005

Percelen
Gebruik de zoekbalk of klik op een perceel om informatie over het perceel te bekijken.