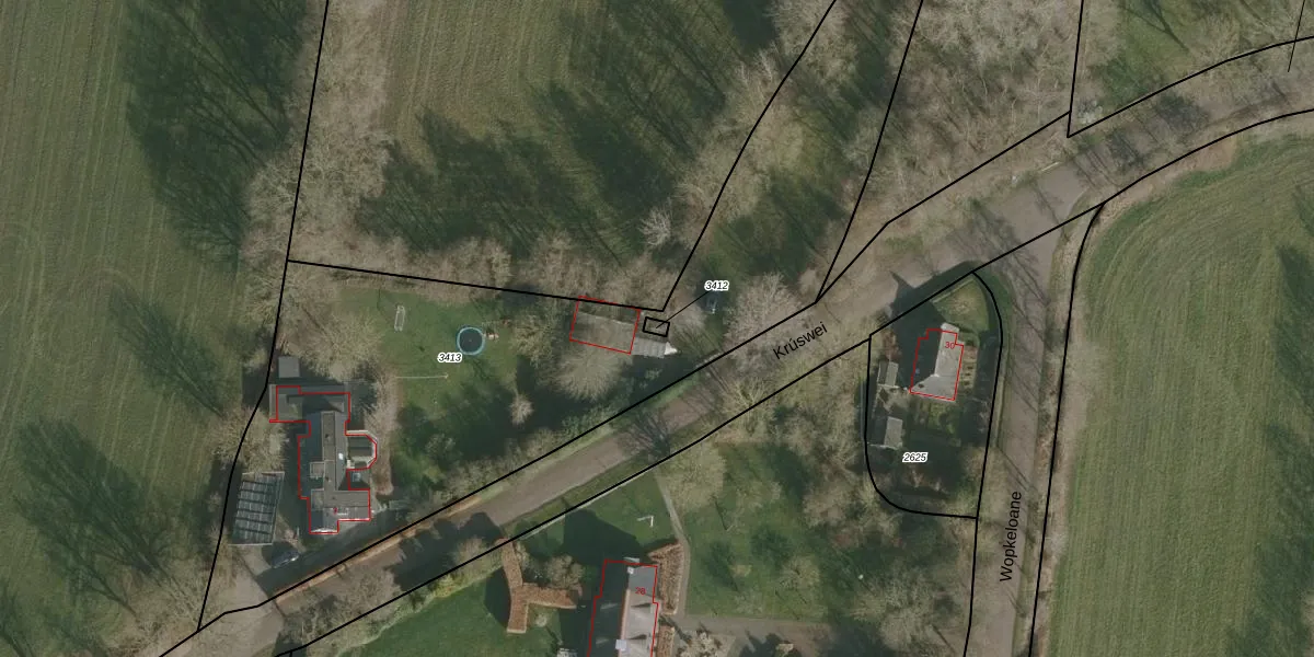
Perceel: DGH00-D-3412
KadastraleKaart.com kan meer dan je denktOntdek meer ›
Filter op bestemming 50+ datasets Eigendomsdata in één klik Percelen CRM
Geen adressen bij dit perceel
8 m2 - 11 m
Eigenaar opvragen
DGH00-D-3412 (Drogeham)
- Geen postcode aanwezig
mYmqQYOSTFdnD2XoNaBUpgrade naar KadastraleKaart Pro
Bekijk op Street View
Download DWG/DXF/Excel
kYmcYOGo6GCB7LjNFAzUpgrade naar KadastraleKaart Pro
PjW0NwO9DWn6QG BZ uePcUpgrade naar KadastraleKaart Pro
B7hOfsLp0JTtzjez UvEUpgrade naar KadastraleKaart Pro
4foyUbMBjl4kCUpgrade naar KadastraleKaart Pro
K K QpXrzIJN0xB7JHYUpgrade naar KadastraleKaart Pro
lN UqSB7dzkbNzmdl3ogyUpgrade naar KadastraleKaart Pro
8e rxHcKMLiI3yXrWv8 vTiUpgrade naar KadastraleKaart Pro
p3e Sle4KG LHJqKTxuPUpgrade naar KadastraleKaart Pro
67oTLgbVWxGsnsUpgrade naar KadastraleKaart Pro
fk9D3ffFUUpgrade naar KadastraleKaart Pro
15/01/1998

Percelen
Gebruik de zoekbalk of klik op een perceel om informatie over het perceel te bekijken.