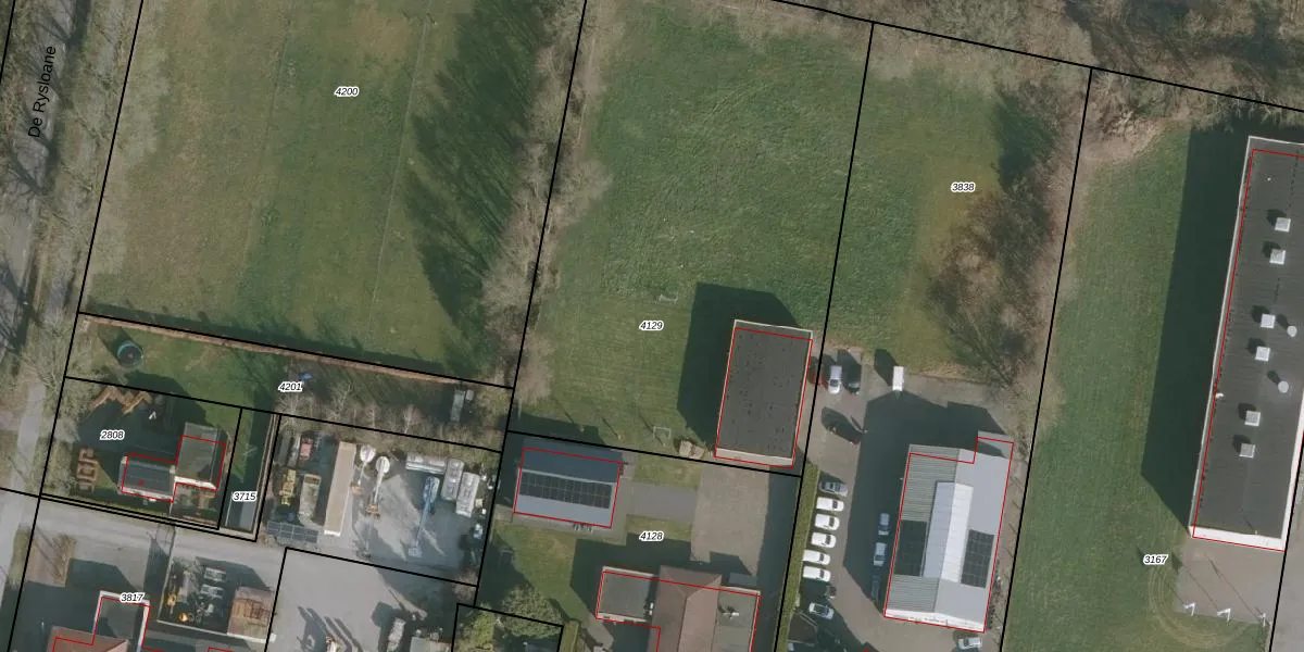
Perceel: DGH00-D-4129
KadastraleKaart.com kan meer dan je denktOntdek meer ›
Filter op bestemming 50+ datasets Eigendomsdata in één klik Percelen CRM
Geen adressen bij dit perceel
3.235 m2 - 233 m
Eigenaar opvragen
DGH00-D-4129 (Drogeham)
- Geen postcode aanwezig
pG oWLHaY79nNHFBToUB ReFdc7VKUpgrade naar KadastraleKaart Pro
Bekijk op Street View
Download DWG/DXF/Excel
I4iJ AEmpnuP1NhW SUpgrade naar KadastraleKaart Pro
sBryyNFOzToSUhON xGwUpgrade naar KadastraleKaart Pro
zrFWn UTsgeJmjE6Upgrade naar KadastraleKaart Pro
w7PXk11p4do 7ADzmcOUpgrade naar KadastraleKaart Pro
ZIGAB0JLQQlx7agB lDjsUpgrade naar KadastraleKaart Pro
8Y0MP6o7T2RGVILUpgrade naar KadastraleKaart Pro
fQzE7 yS2kUpgrade naar KadastraleKaart Pro
dJcaaPp20WECpR MEMN2pUpgrade naar KadastraleKaart Pro
dFUT 4cgCUpgrade naar KadastraleKaart Pro
MCIJJWYDJIUlU1wBEH wcVsUpgrade naar KadastraleKaart Pro
28/03/2017

Percelen
Gebruik de zoekbalk of klik op een perceel om informatie over het perceel te bekijken.