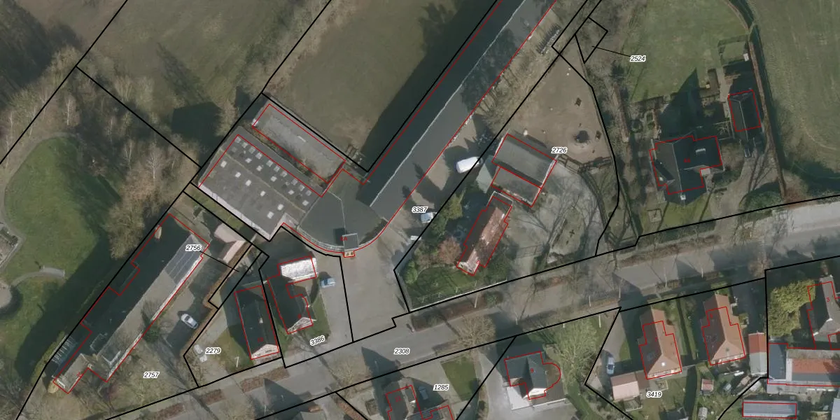
Perceel: DGH00-F-3387
KadastraleKaart.com kan meer dan je denktOntdek meer ›
Filter op bestemming 50+ datasets Eigendomsdata in één klik Percelen CRM
4.293 m2 - 624 m
Eigenaar opvragen
DGH00-F-3387 (Drogeham)
- 9289 HK
LE1k2oEi8uasvngguYUpgrade naar KadastraleKaart Pro
Bekijk op Street View
Download DWG/DXF/Excel
dFL8f1bNl2ZMRlOBHzmJG0Upgrade naar KadastraleKaart Pro
dCqYgDVdMBeMOUpgrade naar KadastraleKaart Pro
tUc5hnFqqUpgrade naar KadastraleKaart Pro
RbqH8sixD8Upgrade naar KadastraleKaart Pro
C8nm7IfSyHNp k 9Upgrade naar KadastraleKaart Pro
VftFh 0M6pUpgrade naar KadastraleKaart Pro
iYKM1VPTL6dzCYKHAUpgrade naar KadastraleKaart Pro
Ca6RDOUJYNSxIWGPkjUpgrade naar KadastraleKaart Pro
j2a58rJ MOh9dUpgrade naar KadastraleKaart Pro
h hgShKw an6JepeKBUpgrade naar KadastraleKaart Pro
10/10/2007

Percelen
Gebruik de zoekbalk of klik op een perceel om informatie over het perceel te bekijken.