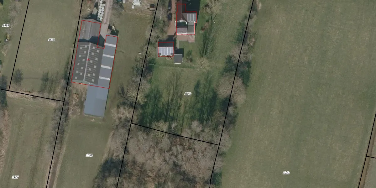
Perceel: DGH00-G-1050
KadastraleKaart.com kan meer dan je denktOntdek meer ›
Filter op bestemming 50+ datasets Eigendomsdata in één klik Percelen CRM
4.100 m2 - 268 m
Eigenaar opvragen
DGH00-G-1050 (Drogeham)
- 9285 XA
Zw o2dfL qm R3y DUpgrade naar KadastraleKaart Pro
Bekijk op Street View
Download DWG/DXF/Excel
GwLFdGP HOLr5 cUpgrade naar KadastraleKaart Pro
ut oCqqlOsS8Upgrade naar KadastraleKaart Pro
SsV57jBlG53qNEw2C czUBjUpgrade naar KadastraleKaart Pro
8 GPYC pW9KUpgrade naar KadastraleKaart Pro
9dMD1sghWf4 c6eVm85cTuVUpgrade naar KadastraleKaart Pro
8rAVVFg AYG fc5J jKDUpgrade naar KadastraleKaart Pro
8 3rCyY7EUpgrade naar KadastraleKaart Pro
m76fue 15rUpgrade naar KadastraleKaart Pro
DM4Wu4a DeWS5n3O IUpgrade naar KadastraleKaart Pro
2dKa7jd J8d OKF498Upgrade naar KadastraleKaart Pro
11/02/2002

Percelen
Gebruik de zoekbalk of klik op een perceel om informatie over het perceel te bekijken.