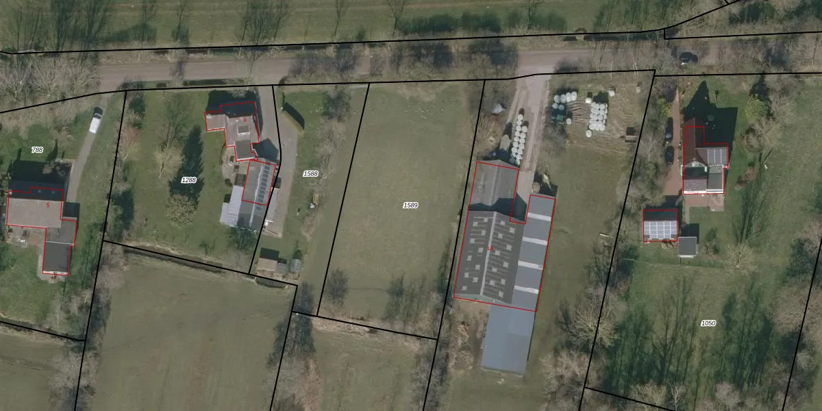
Perceel: DGH00-G-1589
KadastraleKaart.com kan meer dan je denktOntdek meer ›
Filter op bestemming 50+ datasets Eigendomsdata in één klik Percelen CRM
1.790 m2 - 181 m
Eigenaar opvragen
DGH00-G-1589 (Drogeham)
- 9285 XA
CAfxSgbpF5Xn uZbANcdCxMUpgrade naar KadastraleKaart Pro
Bekijk op Street View
Download DWG/DXF/Excel
Iw0j MJKwrQPmtyPaZdUpgrade naar KadastraleKaart Pro
7tGjBESffg6zdi2TjpOuag Upgrade naar KadastraleKaart Pro
xAQ19RbYUpgrade naar KadastraleKaart Pro
tZzr69LQQ5IUpgrade naar KadastraleKaart Pro
xFFcAW4XozUpgrade naar KadastraleKaart Pro
aWr8W4xc Upgrade naar KadastraleKaart Pro
k1Pk17 UO69Upgrade naar KadastraleKaart Pro
a4 sJ9qXDN18Y1ib KPL Upgrade naar KadastraleKaart Pro
RLsX1P 8xJw7lsuhdh HdUpgrade naar KadastraleKaart Pro
I Mq0O0YUpgrade naar KadastraleKaart Pro
13/10/2023

Percelen
Gebruik de zoekbalk of klik op een perceel om informatie over het perceel te bekijken.