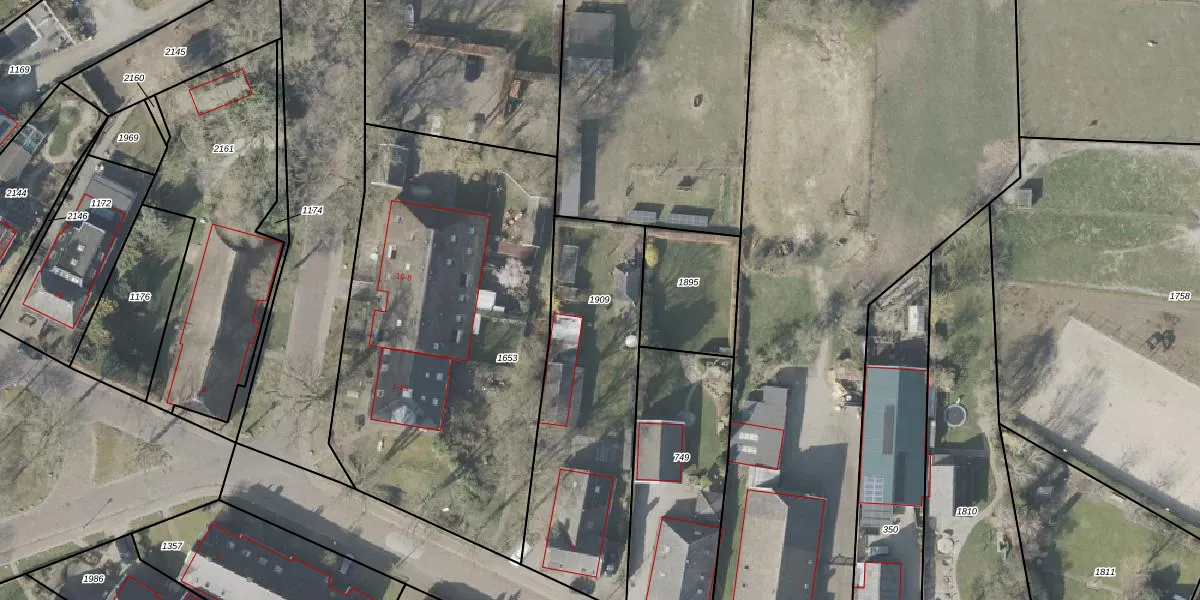
Perceel: DGL00-K-1909
992 m2 - 157 m
Eigenaar opvragen
DGL00-K-1909 (Dwingeloo)
- 7991 AK
Hm3jLmlSZFnWlVwKMDHEDtzTVUpgrade naar KadastraleKaart Pro
Verkoopprijs opvragen
Bekijk op Street View
Download DWG/DXF/Excel
ppLGfdx h ErtUpgrade naar KadastraleKaart Pro
oSe5YYPiY9Upgrade naar KadastraleKaart Pro
YPaoii jgN22Yf2 Upgrade naar KadastraleKaart Pro
mt Y0joObawUpgrade naar KadastraleKaart Pro
JSz8fORDOZ6 1Mh8Upgrade naar KadastraleKaart Pro
yAR wnwKD XyEzQNYU9 Upgrade naar KadastraleKaart Pro
Yo1sX7Zp44WEpc4 Upgrade naar KadastraleKaart Pro
hnJcyAR2pGe68S1Z VUpgrade naar KadastraleKaart Pro
OH N1 UXWiLcJaUpgrade naar KadastraleKaart Pro
3om0fcZA8SUSlINrs yrVUpgrade naar KadastraleKaart Pro
02/06/2003

Percelen
Gebruik de zoekbalk of klik op een perceel om informatie over het perceel te bekijken.