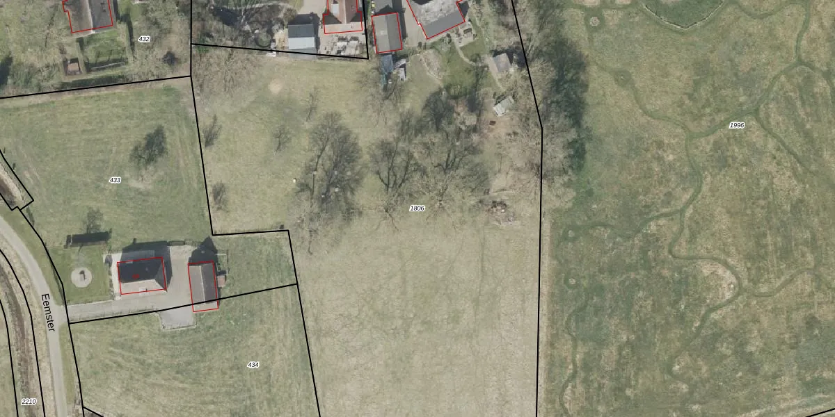
Perceel: DGL00-L-1806
8.325 m2 - 434 m
Eigenaar opvragen
DGL00-L-1806 (Dwingeloo)
- 7991 PT
PruRyAnHtzDEc9ujWYruUWUpgrade naar KadastraleKaart Pro
Verkoopprijs opvragen
Bekijk op Street View
Download DWG/DXF/Excel
2USXkXD2QsKOUpgrade naar KadastraleKaart Pro
u Hgh4 O Upgrade naar KadastraleKaart Pro
KHOT7ukt8NCg7tIjUpgrade naar KadastraleKaart Pro
EIissNwGUMUpgrade naar KadastraleKaart Pro
RLDzEX3N B0V1yvDPqtUpgrade naar KadastraleKaart Pro
cr YOo7Lj4pSkBPdvOogUpgrade naar KadastraleKaart Pro
I1cJ0Ro nxMIUpgrade naar KadastraleKaart Pro
rIilPFHksMcYH4iGmL6HatUpgrade naar KadastraleKaart Pro
PkXaobcQEeIK7DJBlTUpgrade naar KadastraleKaart Pro
Nld afWC8SUpgrade naar KadastraleKaart Pro
09/12/2010

Percelen
Gebruik de zoekbalk of klik op een perceel om informatie over het perceel te bekijken.