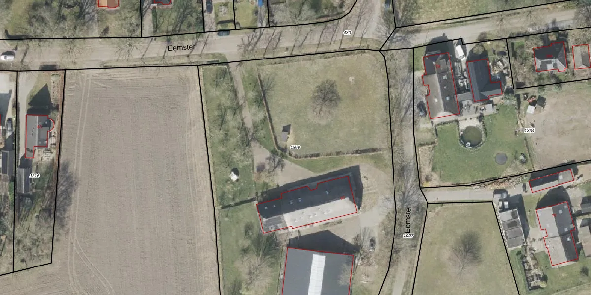
Perceel: DGL00-L-1898
7.588 m2 - 397 m
Eigenaar opvragen
DGL00-L-1898 (Dwingeloo)
- 7991 PT
pd2 xAMbSNyOgIpw1SefV2AWUrB55Upgrade naar KadastraleKaart Pro
Verkoopprijs opvragen
Bekijk op Street View
Download DWG/DXF/Excel
5rGfQOxvJSYooUpgrade naar KadastraleKaart Pro
kv2stp2JUpgrade naar KadastraleKaart Pro
pm 8nG89 mvMRZx rt80Upgrade naar KadastraleKaart Pro
9ZD l7pLjhCUpgrade naar KadastraleKaart Pro
I 5vhsAsc xxx X drqsUpgrade naar KadastraleKaart Pro
RybyKDoFXWw3BJCA6Upgrade naar KadastraleKaart Pro
4vaWryafp2 JjiawIJm Upgrade naar KadastraleKaart Pro
PIShphSMeVAo H7tZQP1Upgrade naar KadastraleKaart Pro
h 0tgOCWmeySjh8lHvH4MJUpgrade naar KadastraleKaart Pro
9X7JyN8PRJyHRZtRLUpgrade naar KadastraleKaart Pro
29/11/2007

Percelen
Gebruik de zoekbalk of klik op een perceel om informatie over het perceel te bekijken.