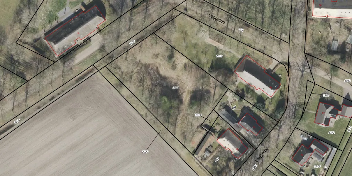
Perceel: DGL00-L-2018
KadastraleKaart.com kan meer dan je denktOntdek meer ›
Filter op bestemming 50+ datasets Eigendomsdata in één klik Percelen CRM
Geen adressen bij dit perceel
2.233 m2 - 205 m
Eigenaar opvragen
DGL00-L-2018 (Dwingeloo)
- Geen postcode aanwezig
Zrcjz R GS5THl7w29KxUpgrade naar KadastraleKaart Pro
Bekijk op Street View
Download DWG/DXF/Excel
n9nxR2N t1rBEUpgrade naar KadastraleKaart Pro
nFrty0iogs8Upgrade naar KadastraleKaart Pro
MqgxiC18bUpgrade naar KadastraleKaart Pro
w8o7thTdv JTUy4bUpgrade naar KadastraleKaart Pro
G cx1T 3KR QuE PLsUpgrade naar KadastraleKaart Pro
JRAuGu27zGWG1Upgrade naar KadastraleKaart Pro
HX0dzsxCrENwGUpgrade naar KadastraleKaart Pro
0ie2o76H Wafa9Upgrade naar KadastraleKaart Pro
kLt3dGXV ICtLMHSQ7iF10Upgrade naar KadastraleKaart Pro
xUi Wuoi027wlUGDTIUpgrade naar KadastraleKaart Pro
04/04/2012

Percelen
Gebruik de zoekbalk of klik op een perceel om informatie over het perceel te bekijken.