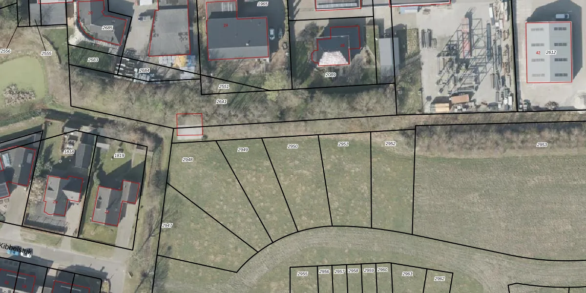
Perceel: DGL00-M-2950
KadastraleKaart.com kan meer dan je denktOntdek meer ›
Filter op bestemming 50+ datasets Eigendomsdata in één klik Percelen CRM
Geen adressen bij dit perceel
499 m2 - 97 m
Eigenaar opvragen
DGL00-M-2950 (Dwingeloo)
- Geen postcode aanwezig
bfJcUqLngO42 6 ZX1cUpgrade naar KadastraleKaart Pro
Bekijk op Street View
Download DWG/DXF/Excel
gZN7P cJrTe6oaUpgrade naar KadastraleKaart Pro
4 W SmnAvCcZybkXLxUpgrade naar KadastraleKaart Pro
GnypXx lUpgrade naar KadastraleKaart Pro
89N8f2rAPYu26axDkBdCBXUpgrade naar KadastraleKaart Pro
AKbtaA236K eUpgrade naar KadastraleKaart Pro
VPBJxc4hnuTHO2U LAaCUpgrade naar KadastraleKaart Pro
pRe 4i9qSfUpgrade naar KadastraleKaart Pro
x vhyH2 NXqTdMShXsU2uUpgrade naar KadastraleKaart Pro
K 632l gBsIALRVSoD c31qUpgrade naar KadastraleKaart Pro
U3UcpucTUpgrade naar KadastraleKaart Pro
18/11/2025

Percelen
Gebruik de zoekbalk of klik op een perceel om informatie over het perceel te bekijken.