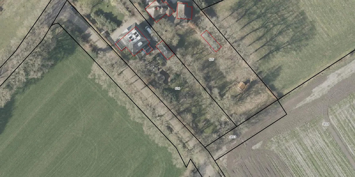
Perceel: DGL00-M-624
2.850 m2 - 290 m
Eigenaar opvragen
DGL00-M-624 (Dwingeloo)
- 7991 RV
Y aL revKKEdPQcN y TUpgrade naar KadastraleKaart Pro
Verkoopprijs opvragen
Bekijk op Street View
Download DWG/DXF/Excel
334eReol 3nnfbXUpgrade naar KadastraleKaart Pro
sD YgL XEDt3bb 4u9Upgrade naar KadastraleKaart Pro
uIjKDyXfz4gPgVB1794ZUpgrade naar KadastraleKaart Pro
LRdm 7H6qUpgrade naar KadastraleKaart Pro
vaMzFm8x KBy68E 94Upgrade naar KadastraleKaart Pro
2V9tGWZNe5j w etgUpgrade naar KadastraleKaart Pro
sOtNAzc UAl a 6v STUSaUpgrade naar KadastraleKaart Pro
i0hxC63o Nn Ip cgpOXUpgrade naar KadastraleKaart Pro
gaYaUkSmpBSN NZbDJEZUpgrade naar KadastraleKaart Pro
h6 K8OEPKpVRS8E6tTyTUpgrade naar KadastraleKaart Pro
26/02/2004

Percelen
Gebruik de zoekbalk of klik op een perceel om informatie over het perceel te bekijken.