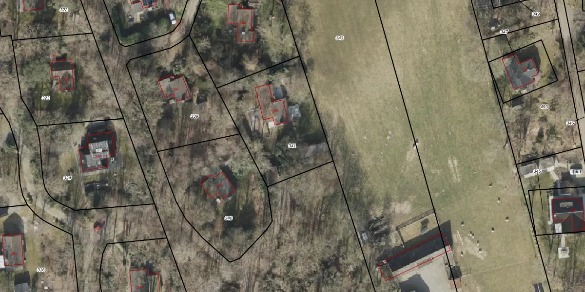
Perceel: DGL00-N-341
KadastraleKaart.com kan meer dan je denktOntdek meer ›
Filter op bestemming 50+ datasets Eigendomsdata in één klik Percelen CRM
1.026 m2 - 130 m
Eigenaar opvragen
DGL00-N-341 (Dwingeloo)
- 7963 RC
rnHxEb9kZnlhRRS KEUpgrade naar KadastraleKaart Pro
Bekijk op Street View
Download DWG/DXF/Excel
KnxDXEPUpgrade naar KadastraleKaart Pro
DENTY v168SaS5Z9 ljN0dsUpgrade naar KadastraleKaart Pro
4k kiXqy4Upgrade naar KadastraleKaart Pro
4oKAch F8AAYNe6mHaUpgrade naar KadastraleKaart Pro
QEvsaEZnnk8IUpgrade naar KadastraleKaart Pro
ey9j7xNWpnVUpgrade naar KadastraleKaart Pro
1aY6J6C 4yuBOoN1 PNlCK9Upgrade naar KadastraleKaart Pro
uHQuwm19qJSDGuwsCWM3 Upgrade naar KadastraleKaart Pro
JMjFsHl6UhzaSrHz1hLUpgrade naar KadastraleKaart Pro
A4mzCnoSMWVWW5kHPRUpgrade naar KadastraleKaart Pro
20/12/2007

Percelen
Gebruik de zoekbalk of klik op een perceel om informatie over het perceel te bekijken.