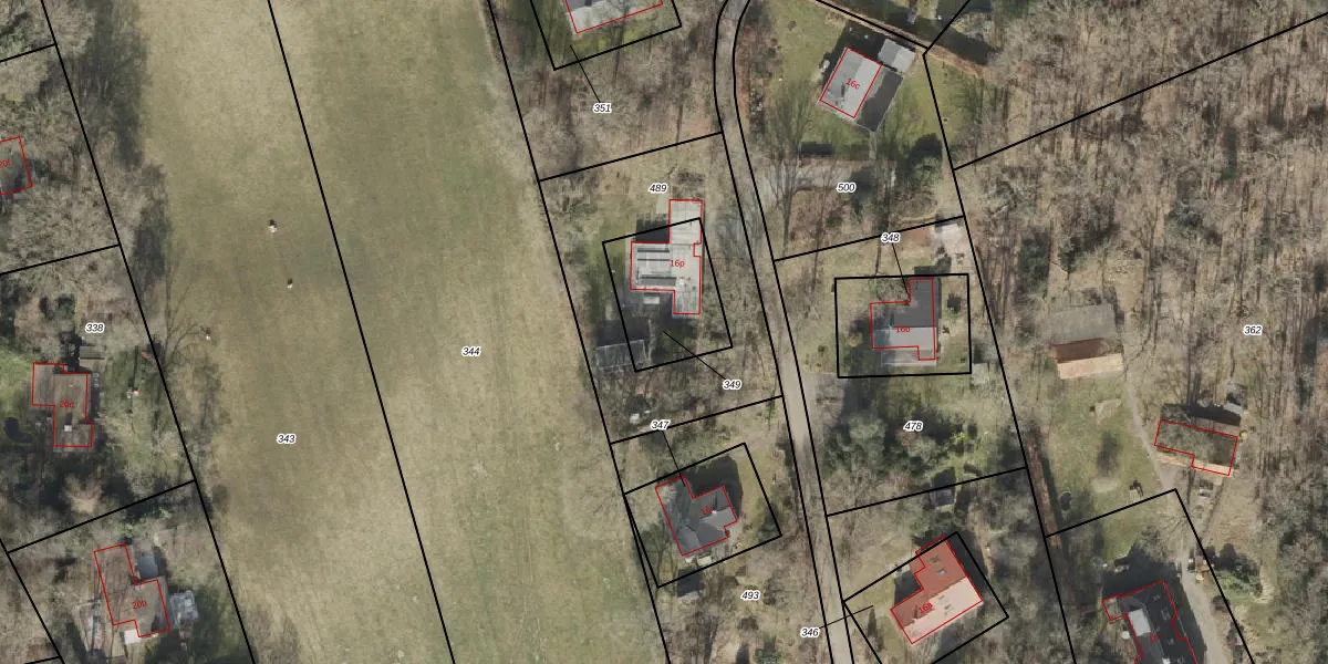
Perceel: DGL00-N-349
KadastraleKaart.com kan meer dan je denktOntdek meer ›
Filter op bestemming 50+ datasets Eigendomsdata in één klik Percelen CRM
301 m2 - 70 m
Eigenaar opvragen
DGL00-N-349 (Dwingeloo)
- 7963 RC
rKqLpawaIAYty8KLaUpgrade naar KadastraleKaart Pro
Bekijk op Street View
Download DWG/DXF/Excel
dIKZb OAkn2avE7Y6nUpgrade naar KadastraleKaart Pro
gmYa6G izeetQHu5pQUpgrade naar KadastraleKaart Pro
tffTu2 Tc80FkpuKJsQBUpgrade naar KadastraleKaart Pro
f ECTC7NUpgrade naar KadastraleKaart Pro
goDE13lGjwN09cGjjIUpgrade naar KadastraleKaart Pro
FVY3j8Ldp4dUpgrade naar KadastraleKaart Pro
CIt0ynLl Upgrade naar KadastraleKaart Pro
Mbt23aAYKdpCI4gUpgrade naar KadastraleKaart Pro
VvsYxpSQBNyMwBUpgrade naar KadastraleKaart Pro
BztSz WfsDGEUpgrade naar KadastraleKaart Pro
03/01/2008

Percelen
Gebruik de zoekbalk of klik op een perceel om informatie over het perceel te bekijken.