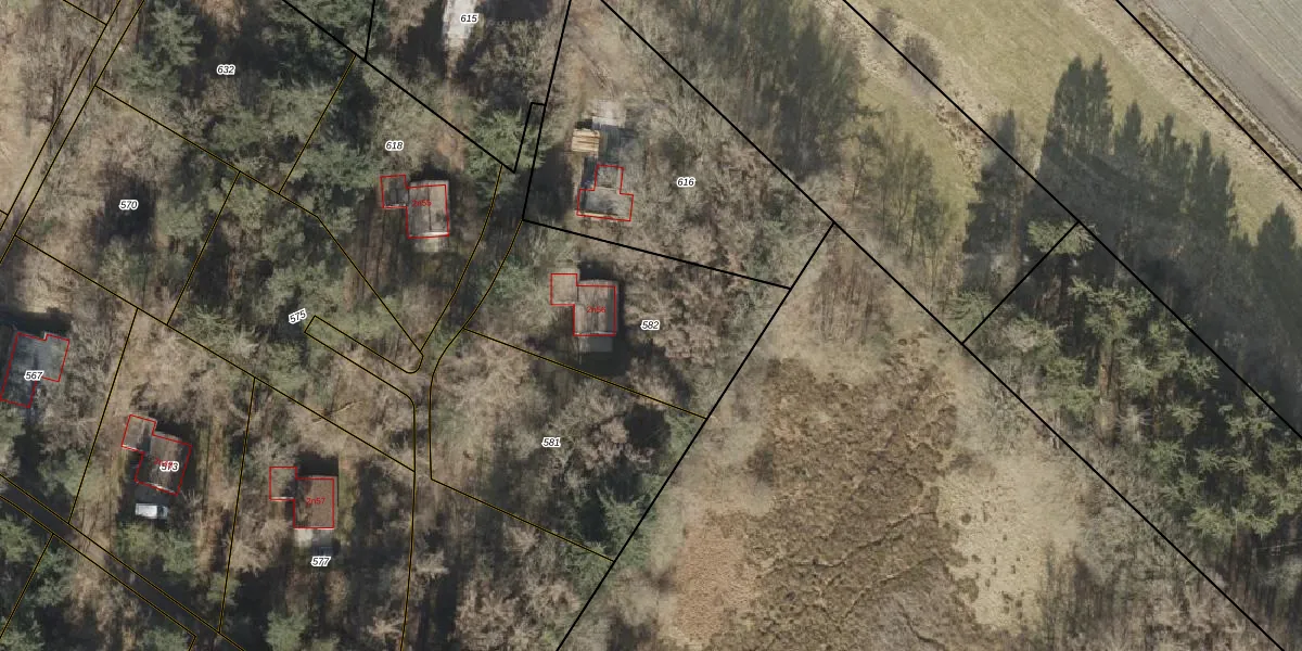
Perceel: DGL00-N-582
947 m2 - 126 m
Eigenaar opvragen
DGL00-N-582 (Dwingeloo)
- 7963 RB
UvG1j7r euOU1siAkVsQT rEPyUpgrade naar KadastraleKaart Pro
Verkoopprijs opvragen
Bekijk op Street View
Download DWG/DXF/Excel
eyJebvkaUpgrade naar KadastraleKaart Pro
sSCgP9gztuB9fUpgrade naar KadastraleKaart Pro
YIkXifSjGeS5Wl8LUpgrade naar KadastraleKaart Pro
eFnkgmnIfEjHL qCQrz6cXUpgrade naar KadastraleKaart Pro
13pwjoAt cZoQk oUpgrade naar KadastraleKaart Pro
bbc1JKAglK Sfw0LS vUpgrade naar KadastraleKaart Pro
or4Gw9wWtmOUpgrade naar KadastraleKaart Pro
fxTjavkc zYTlpDqpUpgrade naar KadastraleKaart Pro
dmV9Vg 6YDBR 54gmstyUpgrade naar KadastraleKaart Pro
11C gUiXqep2PB0wKs6Upgrade naar KadastraleKaart Pro
18/11/2025

Percelen
Gebruik de zoekbalk of klik op een perceel om informatie over het perceel te bekijken.