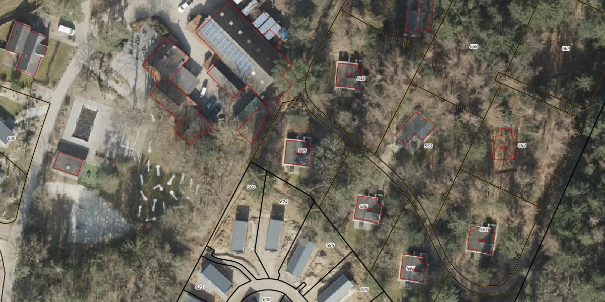
Perceel: DGL00-N-585
KadastraleKaart.com kan meer dan je denktOntdek meer ›
Filter op bestemming 50+ datasets Eigendomsdata in één klik Percelen CRM
667 m2 - 102 m
Eigenaar opvragen
DGL00-N-585 (Dwingeloo)
- 7963 RB
vIHi34 gi2Kukama2toukUpgrade naar KadastraleKaart Pro
Bekijk op Street View
Download DWG/DXF/Excel
hTgjOtMCXyxABWB2Upgrade naar KadastraleKaart Pro
Gr5PX63sEqvMUpgrade naar KadastraleKaart Pro
9Jsx6UuvXOxvLDVJmFUpgrade naar KadastraleKaart Pro
0Px9jy6Q PrM8D9MXwnUUpgrade naar KadastraleKaart Pro
o6zUaf9nzdJv9 z XUpgrade naar KadastraleKaart Pro
asqK3XJqUMdZJvDKjIIyUpgrade naar KadastraleKaart Pro
5uO03uV iq92TWQ8ZJnoUpgrade naar KadastraleKaart Pro
v 5atsYUOiSSoieTFUpgrade naar KadastraleKaart Pro
Dpxh bGpbhnvUpgrade naar KadastraleKaart Pro
djZlVfW7GeZDYcttXUpgrade naar KadastraleKaart Pro
12/06/2025

Percelen
Gebruik de zoekbalk of klik op een perceel om informatie over het perceel te bekijken.