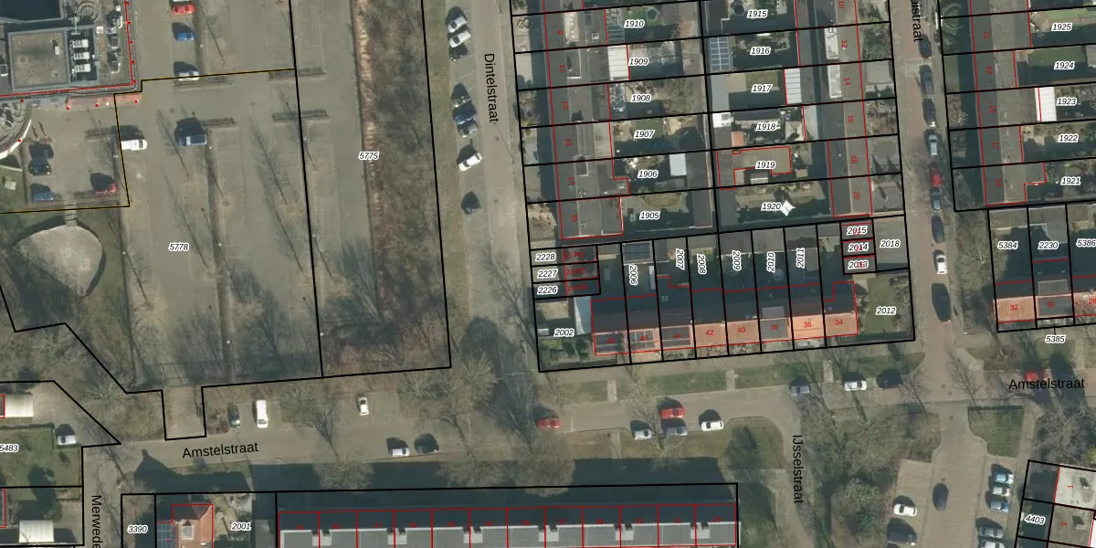
Perceel: DGN01-A-2227
KadastraleKaart.com kan meer dan je denktOntdek meer ›
Filter op bestemming 50+ datasets Eigendomsdata in één klik Percelen CRM
36 m2 - 31 m
Eigenaar opvragen
DGN01-A-2227 (Dongen)
- 5101 XK
0UtcrBcPYADnEE bbBzawnQUpgrade naar KadastraleKaart Pro
Bekijk op Street View
Download DWG/DXF/Excel
1RgBT rSiW2dKshc4Uu6 6Upgrade naar KadastraleKaart Pro
oBggUdEMn4EXZDUOUpgrade naar KadastraleKaart Pro
06t8ofKPwsKFqUpgrade naar KadastraleKaart Pro
iX0cWs EJRUpgrade naar KadastraleKaart Pro
6FRwgr1KBcy26Q0IqsgUpgrade naar KadastraleKaart Pro
V Dq1RH0Hw1eDiMuqKpUpgrade naar KadastraleKaart Pro
E EDhqGyUpgrade naar KadastraleKaart Pro
RRVJdpeHUpgrade naar KadastraleKaart Pro
V2queOiJUpgrade naar KadastraleKaart Pro
Fmw NE vIJUpgrade naar KadastraleKaart Pro
01/12/2010

Percelen
Gebruik de zoekbalk of klik op een perceel om informatie over het perceel te bekijken.