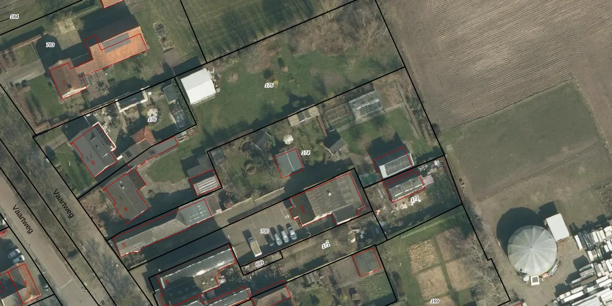
Perceel: DGN01-N-174
KadastraleKaart.com kan meer dan je denktOntdek meer ›
Filter op bestemming 50+ datasets Eigendomsdata in één klik Percelen CRM
2.370 m2 - 286 m
Eigenaar opvragen
DGN01-N-174 (Dongen)
- 5106 NB
ZIp e TcMuUnndIqQd3siR0ysuUpgrade naar KadastraleKaart Pro
Bekijk op Street View
Download DWG/DXF/Excel
VLUsnhOf4tlaEUpgrade naar KadastraleKaart Pro
4n608qMQyz IAQUpgrade naar KadastraleKaart Pro
SlYAfBu3QCJ31qtUpgrade naar KadastraleKaart Pro
8Fp 1hCN8jIg2cBUpgrade naar KadastraleKaart Pro
D z747zn3hI Cjf WkUpgrade naar KadastraleKaart Pro
6GL2pQCE WoIgTZUpgrade naar KadastraleKaart Pro
e0RsoqUeKLT2T7Upgrade naar KadastraleKaart Pro
diMBkQRyKo PhGKtEOU FLUpgrade naar KadastraleKaart Pro
YSsrLXWPMAbQMWc T442oUpgrade naar KadastraleKaart Pro
uunQdRHLeTs53Upgrade naar KadastraleKaart Pro
19/08/2008

Percelen
Gebruik de zoekbalk of klik op een perceel om informatie over het perceel te bekijken.