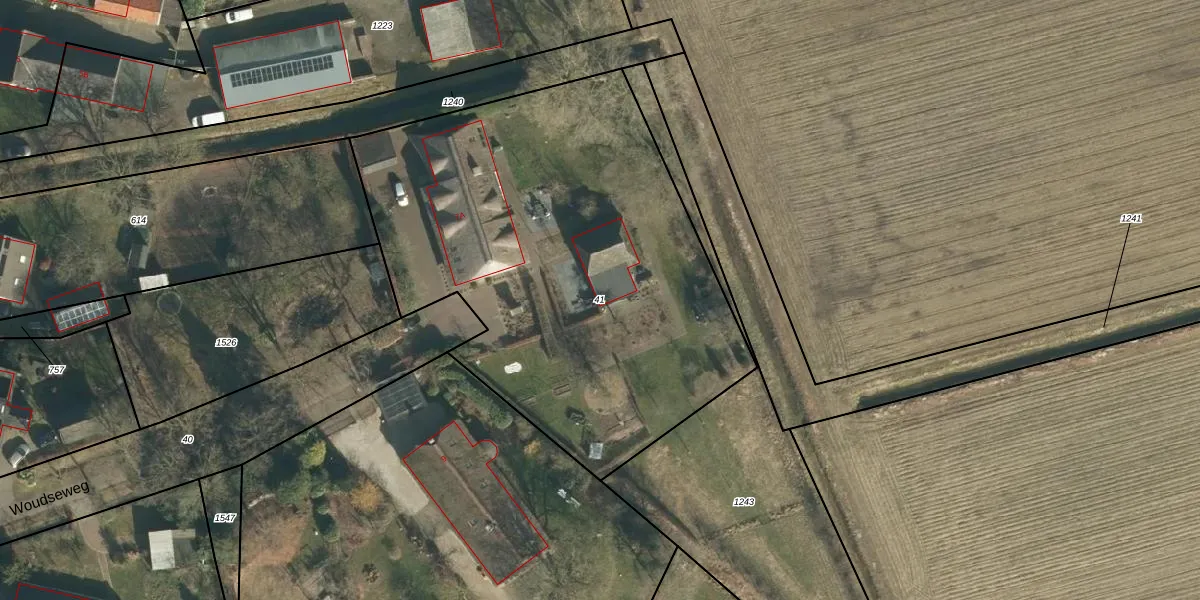
Perceel: DGN02-G-41
KadastraleKaart.com kan meer dan je denktOntdek meer ›
Filter op bestemming 50+ datasets Eigendomsdata in één klik Percelen CRM
2.700 m2 - 225 m
Eigenaar opvragen
DGN02-G-41 (Den Dungen)
- 5275 JH
kCITG 26GI0 g Sa Su4aUpgrade naar KadastraleKaart Pro
Verkoopprijs opvragen
Bekijk op Street View
Download DWG/DXF/Excel
5wkvBNG4 WOb38cX1g OEk9Upgrade naar KadastraleKaart Pro
mwPGpN2j sx DFUpgrade naar KadastraleKaart Pro
t0m1Vt1KDcl V4nQUpgrade naar KadastraleKaart Pro
moboC cpFmD ZZwiYVUpgrade naar KadastraleKaart Pro
XINg112PBw GthnIrJvwaEUpgrade naar KadastraleKaart Pro
excC3R wqKy9yZ4Jt X480OUpgrade naar KadastraleKaart Pro
SMWFYOCVUzUpgrade naar KadastraleKaart Pro
J2ZjIoTchrMpkdmpaJUpgrade naar KadastraleKaart Pro
q8idz1U IRDUpgrade naar KadastraleKaart Pro
E7NPs7UlKo1r zADW4TsrUpgrade naar KadastraleKaart Pro
30/05/2011

Percelen
Gebruik de zoekbalk of klik op een perceel om informatie over het perceel te bekijken.