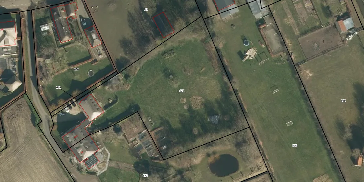
Perceel: DGN02-G-671
KadastraleKaart.com kan meer dan je denktOntdek meer ›
Filter op bestemming 50+ datasets Eigendomsdata in één klik Percelen CRM
4.154 m2 - 320 m
Eigenaar opvragen
DGN02-G-671 (Den Dungen)
- 5275 JD
B10E 8hb8zjOMVA6yP SrfUpgrade naar KadastraleKaart Pro
Verkoopprijs opvragen
Bekijk op Street View
Download DWG/DXF/Excel
aKl shn2r68Upgrade naar KadastraleKaart Pro
RSmK ojwquDXZCa wmB8 Upgrade naar KadastraleKaart Pro
giXe3 N5Upgrade naar KadastraleKaart Pro
pUQB0Ry2WtUpgrade naar KadastraleKaart Pro
UqoxDFNIx 71Nk CYkl8sUpgrade naar KadastraleKaart Pro
82f o1JDe3KT6a MncUpgrade naar KadastraleKaart Pro
ZS SPT26Upgrade naar KadastraleKaart Pro
8h9Bk RkoI wFCHhUpgrade naar KadastraleKaart Pro
4a05CqkHYZhj6CVeLsUpgrade naar KadastraleKaart Pro
LMUUtgC ubwIR1gb PUpgrade naar KadastraleKaart Pro
17/12/2008

Percelen
Gebruik de zoekbalk of klik op een perceel om informatie over het perceel te bekijken.