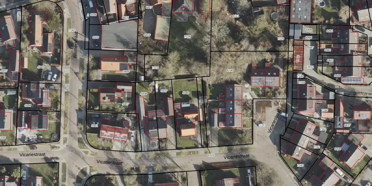
Perceel: DKB00-A-5940
KadastraleKaart.com kan meer dan je denktOntdek meer ›
Filter op bestemming 50+ datasets Eigendomsdata in één klik Percelen CRM
510 m2 - 103 m
Eigenaar opvragen
DKB00-A-5940 (Donkerbroek)
- 8435 XD
IBuCK TLZBC6MxGePUpgrade naar KadastraleKaart Pro
Bekijk op Street View
Download DWG/DXF/Excel
NrwjS kpw6lUpgrade naar KadastraleKaart Pro
i jLorO7sUvUpgrade naar KadastraleKaart Pro
LUyfNGG FUpgrade naar KadastraleKaart Pro
SJ4uvAgg Upgrade naar KadastraleKaart Pro
nRrXn 82EKY3 XYuW0Upgrade naar KadastraleKaart Pro
7 bqTBKrfNdmElUpgrade naar KadastraleKaart Pro
S5G3CxNIAhgUpgrade naar KadastraleKaart Pro
F piDTRLawYmy8Upgrade naar KadastraleKaart Pro
Us QrY q Upgrade naar KadastraleKaart Pro
LTiw5vWXgRLLRUKq0gYO5Upgrade naar KadastraleKaart Pro
29/05/2006

Percelen
Gebruik de zoekbalk of klik op een perceel om informatie over het perceel te bekijken.