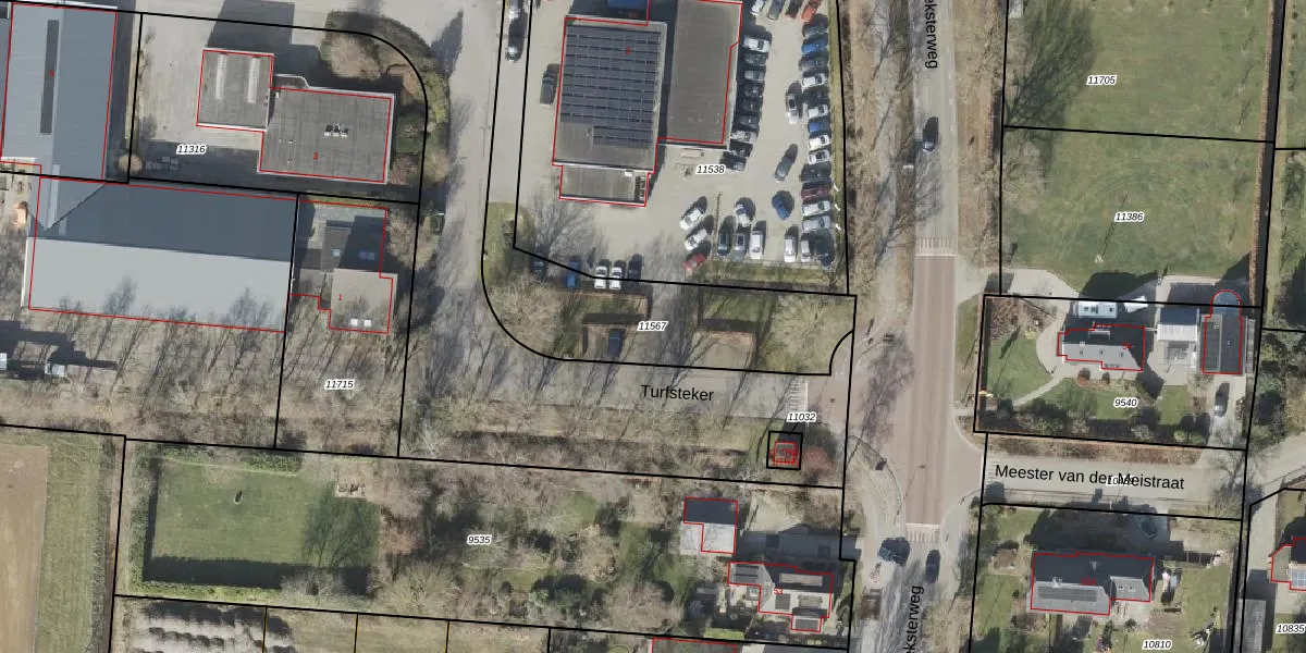
Perceel: DKB00-B-11567
KadastraleKaart.com kan meer dan je denktOntdek meer ›
Filter op bestemming 50+ datasets Eigendomsdata in één klik Percelen CRM
Geen adressen bij dit perceel
895 m2 - 222 m
Eigenaar opvragen
DKB00-B-11567 (Donkerbroek)
- Geen postcode aanwezig
vYRZA8s197jtenbmcLy 6lhZRBUPUpgrade naar KadastraleKaart Pro
Bekijk op Street View
Download DWG/DXF/Excel
r8Qpl1 IYysfUpgrade naar KadastraleKaart Pro
WyZYtTKDiA Upgrade naar KadastraleKaart Pro
YhlK4nwtdUpgrade naar KadastraleKaart Pro
F4f9BiUkZWRWFv TEc Lvf4Upgrade naar KadastraleKaart Pro
v 7FWfYZwQ9VMUpgrade naar KadastraleKaart Pro
9o9m4t uLtzLQ0njXkUpgrade naar KadastraleKaart Pro
5UFwVU7IrEs6vWfokK1nUpgrade naar KadastraleKaart Pro
TGbPcN JOUnXyIHLCLm 9nUpgrade naar KadastraleKaart Pro
JwVdxUG3 K 2Ukt zwLXUpgrade naar KadastraleKaart Pro
998JP ADUpgrade naar KadastraleKaart Pro
21/02/2008

Percelen
Gebruik de zoekbalk of klik op een perceel om informatie over het perceel te bekijken.