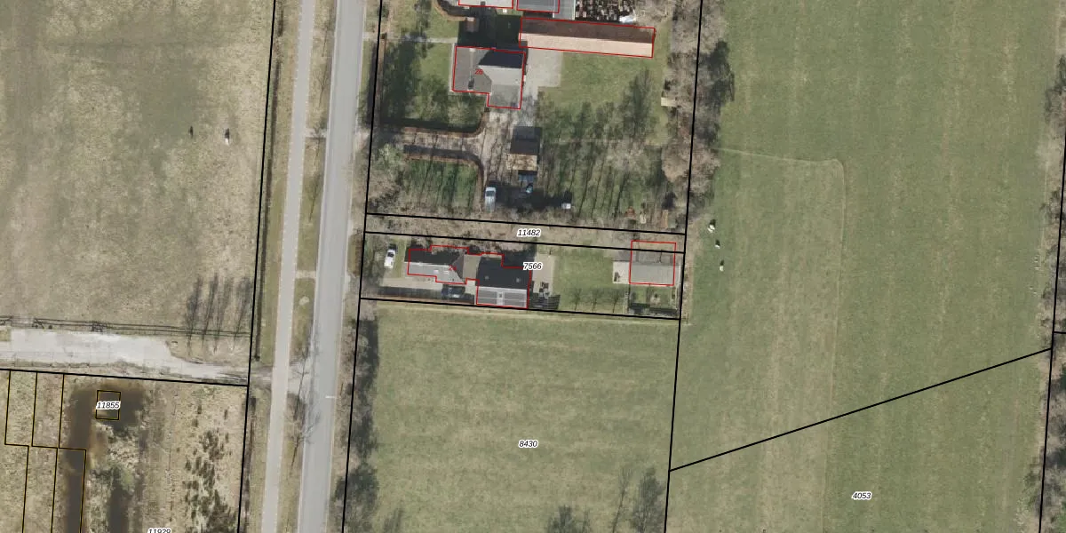
Perceel: DKB00-B-7566
KadastraleKaart.com kan meer dan je denktOntdek meer ›
Filter op bestemming 50+ datasets Eigendomsdata in één klik Percelen CRM
750 m2 - 145 m
Eigenaar opvragen
DKB00-B-7566 (Donkerbroek)
- 8434 NR
DMhzii0vUhw7mlYVK5c7ygX a5eAfTPUpgrade naar KadastraleKaart Pro
Verkoopprijs opvragen
Bekijk op Street View
Download DWG/DXF/Excel
Qb6EvYKCGZ83YHslxuUpgrade naar KadastraleKaart Pro
mUMMSvOG4MRcOu9Upgrade naar KadastraleKaart Pro
dCvyDuvW46vepUpgrade naar KadastraleKaart Pro
8g 7jK7SKwol9zwK M UWjZUpgrade naar KadastraleKaart Pro
i ZM dxroJygvz Vm8SUpgrade naar KadastraleKaart Pro
p VQXDu5T Upgrade naar KadastraleKaart Pro
Hasj L HeUpgrade naar KadastraleKaart Pro
O7tiwP5 yhYoY3LX0G tZj Upgrade naar KadastraleKaart Pro
5CMK38yWcU034GrDZ DUpgrade naar KadastraleKaart Pro
ZROKtycvJ4QkpkpG9vVvUpgrade naar KadastraleKaart Pro
22/04/2003

Percelen
Gebruik de zoekbalk of klik op een perceel om informatie over het perceel te bekijken.