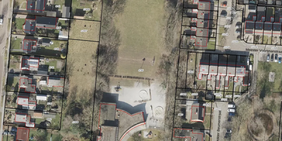
Perceel: DKB00-B-9795
KadastraleKaart.com kan meer dan je denktOntdek meer ›
Filter op bestemming 50+ datasets Eigendomsdata in één klik Percelen CRM
Geen adressen bij dit perceel
8.825 m2 - 423 m
Eigenaar opvragen
DKB00-B-9795 (Donkerbroek)
- Geen postcode aanwezig
bDjvq7X64dx9IN T6QRFIT3 bjkUpgrade naar KadastraleKaart Pro
Bekijk op Street View
Download DWG/DXF/Excel
pEYh3zJw T JZZNdUpgrade naar KadastraleKaart Pro
I7LMDDbiyUpgrade naar KadastraleKaart Pro
ikeMQUuXNQhYMjFt dqUpgrade naar KadastraleKaart Pro
vUP6spdchHD SB7kUpgrade naar KadastraleKaart Pro
wd9kfgKpKVg3JprmKtVVUpgrade naar KadastraleKaart Pro
M26ULp8SDUpgrade naar KadastraleKaart Pro
MXLgw C9 stLrqUpgrade naar KadastraleKaart Pro
Pb8Cka hXOx6Upgrade naar KadastraleKaart Pro
io hpVl4YdYFQ S AUpgrade naar KadastraleKaart Pro
A7x3V7PUowJVbh3AcURNUpgrade naar KadastraleKaart Pro
29/09/2025

Percelen
Gebruik de zoekbalk of klik op een perceel om informatie over het perceel te bekijken.