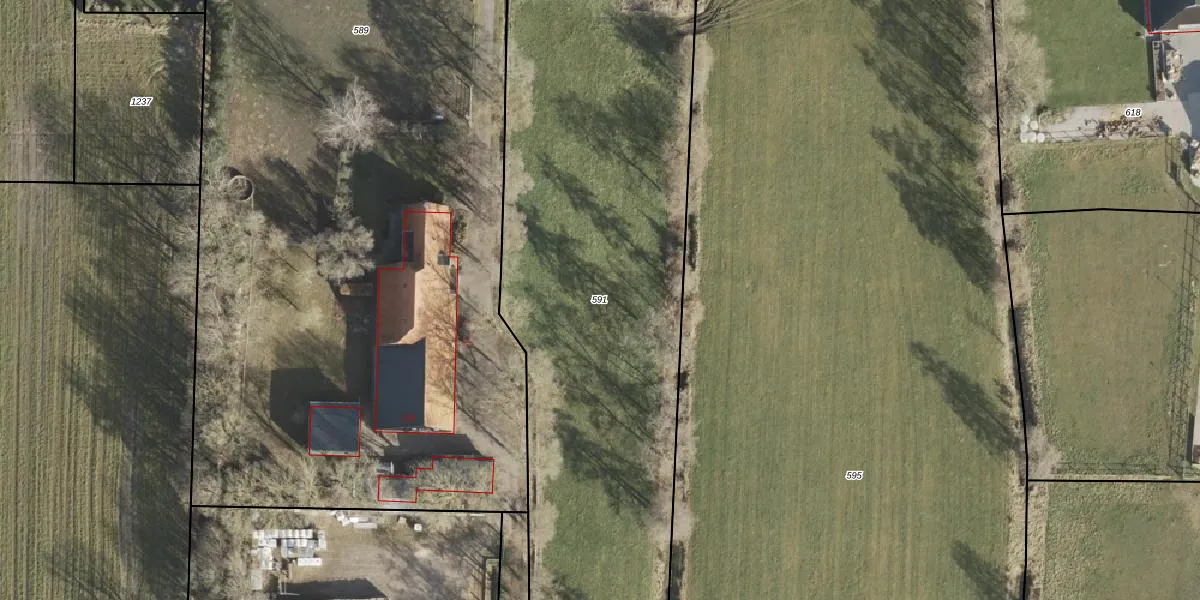
Perceel: DKB00-G-591
KadastraleKaart.com kan meer dan je denktOntdek meer ›
Filter op bestemming 50+ datasets Eigendomsdata in één klik Percelen CRM
5.762 m2 - 490 m
Eigenaar opvragen
DKB00-G-591 (Donkerbroek)
- 8435 WZ
2MkoOipmasrHp24SMk u 438jUu3Upgrade naar KadastraleKaart Pro
Verkoopprijs opvragen
Bekijk op Street View
Download DWG/DXF/Excel
aGl4G7pQ E8zUpgrade naar KadastraleKaart Pro
SA6DiB3201OUpgrade naar KadastraleKaart Pro
zz1dne1sr4Upgrade naar KadastraleKaart Pro
obTjUgJokUpgrade naar KadastraleKaart Pro
LPQsCwJUWdwg8ipXpvTGUpgrade naar KadastraleKaart Pro
nLw3rqnvCOPYjyvgRyUpgrade naar KadastraleKaart Pro
KBs1IFP OjqDw mYYUpgrade naar KadastraleKaart Pro
VVgLv9YOpHzRQfuV8WUpgrade naar KadastraleKaart Pro
qU0HtprtpUpgrade naar KadastraleKaart Pro
ruJJ YXPPcR0K9Upgrade naar KadastraleKaart Pro
12/06/2001

Percelen
Gebruik de zoekbalk of klik op een perceel om informatie over het perceel te bekijken.