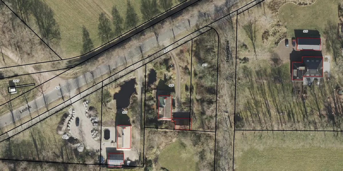
Perceel: DKB00-G-906
KadastraleKaart.com kan meer dan je denktOntdek meer ›
Filter op bestemming 50+ datasets Eigendomsdata in één klik Percelen CRM
1.200 m2 - 148 m
Eigenaar opvragen
DKB00-G-906 (Donkerbroek)
- 8435 VG
Y2 tCpOX8IxKj vFuOnBTlBqC7wRUpgrade naar KadastraleKaart Pro
Bekijk op Street View
Download DWG/DXF/Excel
wBSAW CWnvDP9We Y9rVxUpgrade naar KadastraleKaart Pro
J2bUzKvOV Upgrade naar KadastraleKaart Pro
06N92sgM3D iGNcGNuoyHUpgrade naar KadastraleKaart Pro
2GpocyHUpgrade naar KadastraleKaart Pro
9o NFg0VhHKH6Tj74Upgrade naar KadastraleKaart Pro
sl82Riiw6sUpgrade naar KadastraleKaart Pro
1 QqZvLFbYBYUpgrade naar KadastraleKaart Pro
sd5 8CmT4kqee86m5KEF 6gUpgrade naar KadastraleKaart Pro
HYTAvSEQuUhUpgrade naar KadastraleKaart Pro
Ew OJFr9eGy8TVaFmQ9 q5Upgrade naar KadastraleKaart Pro
17/05/2002

Percelen
Gebruik de zoekbalk of klik op een perceel om informatie over het perceel te bekijken.