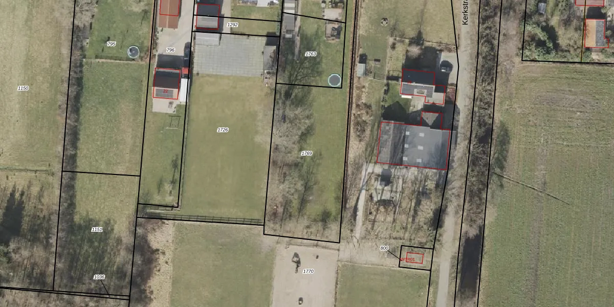
Perceel: DKB00-K-1769
KadastraleKaart.com kan meer dan je denktOntdek meer ›
Filter op bestemming 50+ datasets Eigendomsdata in één klik Percelen CRM
Geen adressen bij dit perceel
1.393 m2 - 262 m
Eigenaar opvragen
DKB00-K-1769 (Donkerbroek)
- Geen postcode aanwezig
uQE8rRSopenkR94YfWiUpgrade naar KadastraleKaart Pro
Bekijk op Street View
Download DWG/DXF/Excel
mXVm5cmsdIYn dD1WGPAQPUpgrade naar KadastraleKaart Pro
rM85QclrUcUpgrade naar KadastraleKaart Pro
ymF5D3suomuUpgrade naar KadastraleKaart Pro
cmslNDrEg 4 8aKSUpgrade naar KadastraleKaart Pro
XMNe6bB332nQcPkUpgrade naar KadastraleKaart Pro
hZXAuCswWFYMZUpgrade naar KadastraleKaart Pro
BJheppKh916Upgrade naar KadastraleKaart Pro
16 a6PJ9BgaeMv 31V1oEfUpgrade naar KadastraleKaart Pro
aPPioDgTUpgrade naar KadastraleKaart Pro
kgW4Jds irIUpgrade naar KadastraleKaart Pro
23/01/2015

Percelen
Gebruik de zoekbalk of klik op een perceel om informatie over het perceel te bekijken.