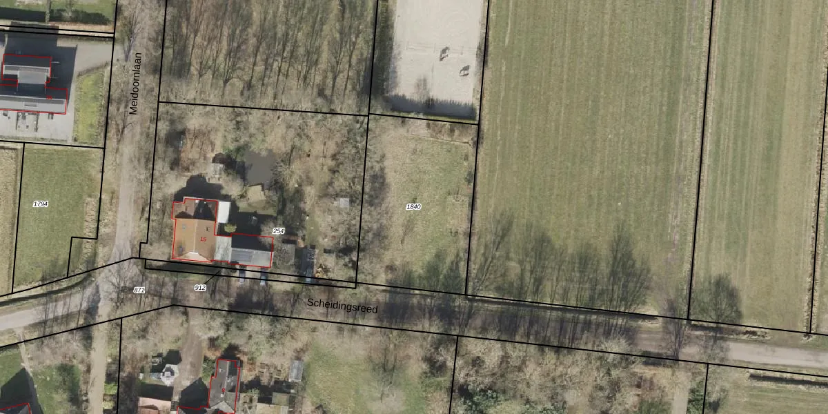
Perceel: DKB00-K-1840
KadastraleKaart.com kan meer dan je denktOntdek meer ›
Filter op bestemming 50+ datasets Eigendomsdata in één klik Percelen CRM
Geen adressen bij dit perceel
1.095 m2 - 135 m
Eigenaar opvragen
DKB00-K-1840 (Donkerbroek)
- Geen postcode aanwezig
1kwYJrhJb3740iE6gFTViDEUpgrade naar KadastraleKaart Pro
Bekijk op Street View
Download DWG/DXF/Excel
nc zLeewOUpgrade naar KadastraleKaart Pro
KxQx 4U cGUpgrade naar KadastraleKaart Pro
GLc DBXj3otOAlvopXUpgrade naar KadastraleKaart Pro
cBg271Bbs9hD7DUpgrade naar KadastraleKaart Pro
7zrwN9IJABCUpgrade naar KadastraleKaart Pro
91M88 pXRsKohCV LuF CUpgrade naar KadastraleKaart Pro
h1AERzip9bbU2u7Upgrade naar KadastraleKaart Pro
OOueaBQzUKfPR UJp9A3Upgrade naar KadastraleKaart Pro
S5f 4zJpwFUpgrade naar KadastraleKaart Pro
2YRRpVmjQ9GfzHUpgrade naar KadastraleKaart Pro
14/08/2018

Percelen
Gebruik de zoekbalk of klik op een perceel om informatie over het perceel te bekijken.