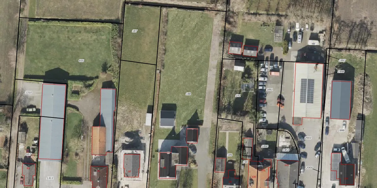
Perceel: DKB00-K-188
KadastraleKaart.com kan meer dan je denktOntdek meer ›
Filter op bestemming 50+ datasets Eigendomsdata in één klik Percelen CRM
3.487 m2 - 270 m
Eigenaar opvragen
DKB00-K-188 (Donkerbroek)
- 8433 LS
W MMbl9K 6 xHz4xD 2 cIUpgrade naar KadastraleKaart Pro
Verkoopprijs opvragen
Bekijk op Street View
Download DWG/DXF/Excel
wBY zq0M0ZR3ZmuOUpgrade naar KadastraleKaart Pro
aP bc6u0eL jX9ZjDUUpgrade naar KadastraleKaart Pro
EDsJenvWpD3m WQP BUpgrade naar KadastraleKaart Pro
HMA52qBhTKCodGiRxUpgrade naar KadastraleKaart Pro
z43n5R2OII5HpUpgrade naar KadastraleKaart Pro
rRF4y YT6Upgrade naar KadastraleKaart Pro
1Pot6efVzUpgrade naar KadastraleKaart Pro
x5gWISQMUpgrade naar KadastraleKaart Pro
NM0RjIWH2ZUpgrade naar KadastraleKaart Pro
QY6TJ7SGlQ5BnTUpgrade naar KadastraleKaart Pro
23/04/2007

Percelen
Gebruik de zoekbalk of klik op een perceel om informatie over het perceel te bekijken.