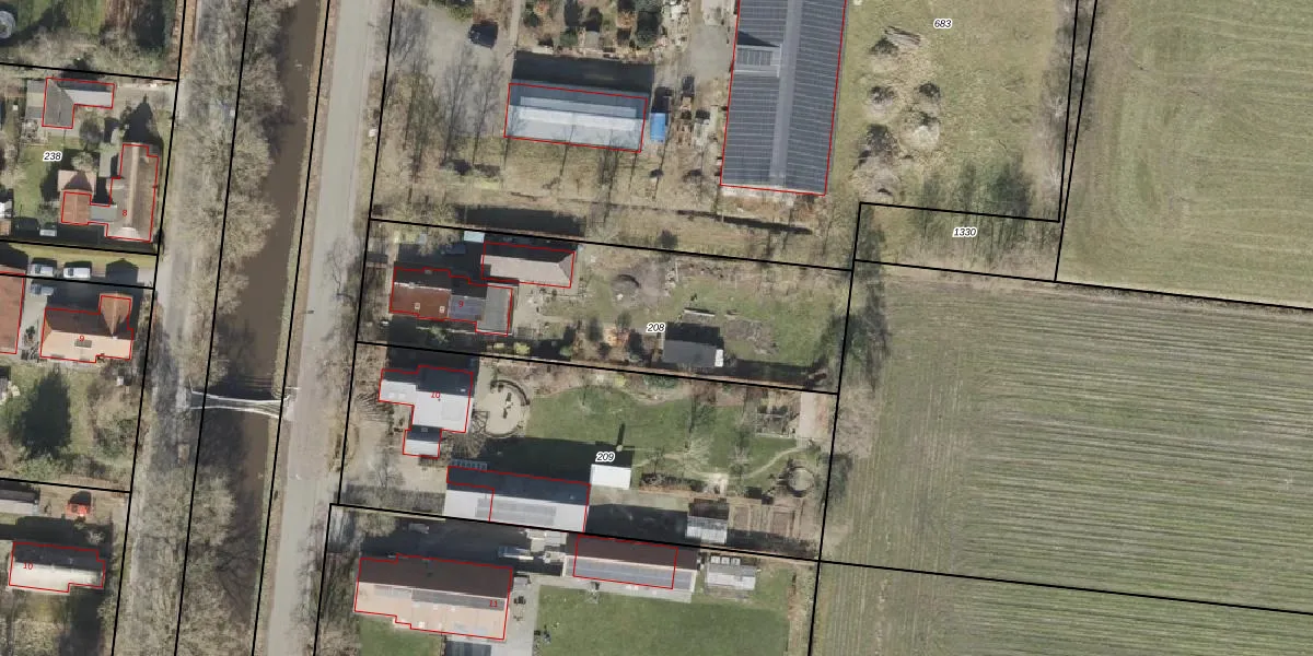
Perceel: DKB00-K-208
KadastraleKaart.com kan meer dan je denktOntdek meer ›
Filter op bestemming 50+ datasets Eigendomsdata in één klik Percelen CRM
1.390 m2 - 186 m
Eigenaar opvragen
DKB00-K-208 (Donkerbroek)
- 8433 LT
Z4SLTG7O0d8 jJ3Hmw5FYYUpgrade naar KadastraleKaart Pro
Verkoopprijs opvragen
Bekijk op Street View
Download DWG/DXF/Excel
6jKOCfe7f wfYnuFuEdVqqUpgrade naar KadastraleKaart Pro
M0M kBO3cUIbHO fUpgrade naar KadastraleKaart Pro
5wdC tCwqrUpgrade naar KadastraleKaart Pro
7fFzTWj4BArr9jUpgrade naar KadastraleKaart Pro
EI qY3IbksUpgrade naar KadastraleKaart Pro
GC0FDiqZqEi RiWmZkUpgrade naar KadastraleKaart Pro
7ouXmBhbSqWcC6vCUYUpgrade naar KadastraleKaart Pro
H1ZCti9hAVyE9UzvwOUpgrade naar KadastraleKaart Pro
hIWb3ERGljcUpgrade naar KadastraleKaart Pro
ZTWinfLoOUpgrade naar KadastraleKaart Pro
15/01/1998

Percelen
Gebruik de zoekbalk of klik op een perceel om informatie over het perceel te bekijken.