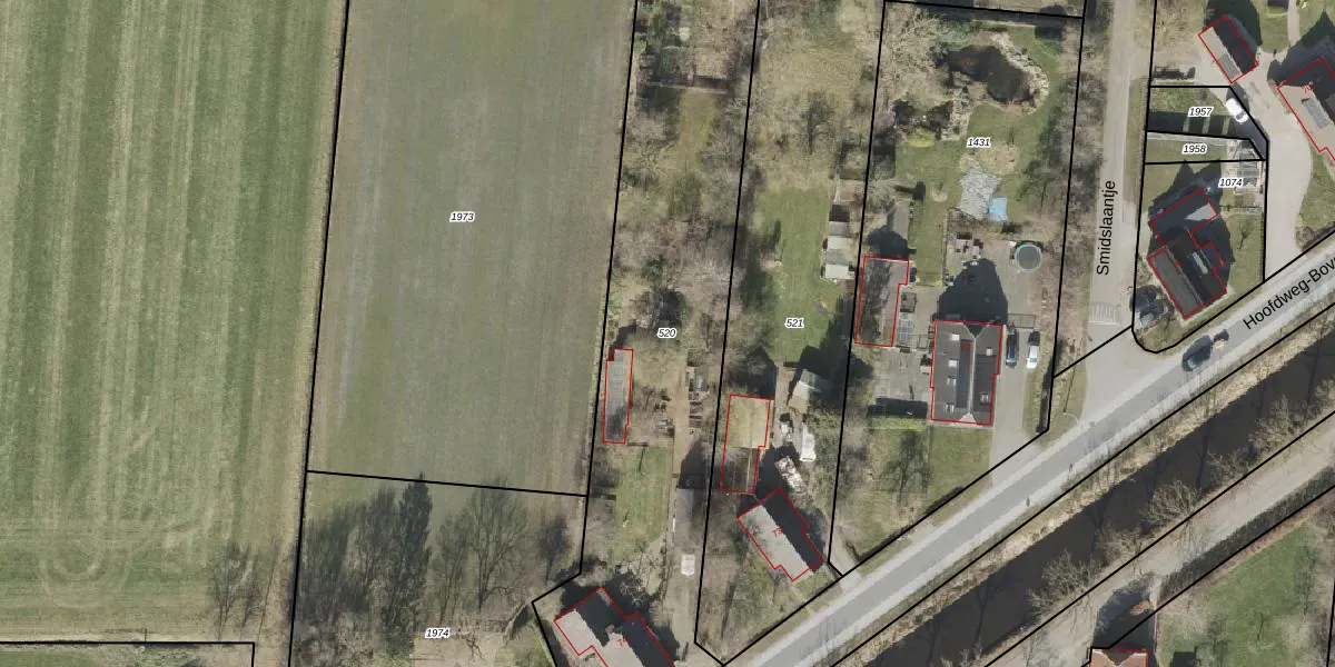
Perceel: DKB00-K-520
KadastraleKaart.com kan meer dan je denktOntdek meer ›
Filter op bestemming 50+ datasets Eigendomsdata in één klik Percelen CRM
2.156 m2 - 271 m
Eigenaar opvragen
DKB00-K-520 (Donkerbroek)
- 8433 LE
pZRkXuhCKUmcBLkl 7GqiPT5MlcW eUpgrade naar KadastraleKaart Pro
Verkoopprijs opvragen
Bekijk op Street View
Download DWG/DXF/Excel
l6Kg852hUpgrade naar KadastraleKaart Pro
EsKXKE C5LFSxsvnkvqimUpgrade naar KadastraleKaart Pro
5 lURwwmTLy4WgUpgrade naar KadastraleKaart Pro
3N5E8g kUpgrade naar KadastraleKaart Pro
WIeWqAvPP eHybqroUw76iwUpgrade naar KadastraleKaart Pro
JjGLIISLUpgrade naar KadastraleKaart Pro
NJZ zIdh 75VUpgrade naar KadastraleKaart Pro
Mrk00 h y5zmVLqUpgrade naar KadastraleKaart Pro
ASvysj kFUpgrade naar KadastraleKaart Pro
I TTFWXll 5Upgrade naar KadastraleKaart Pro
31/07/2024

Percelen
Gebruik de zoekbalk of klik op een perceel om informatie over het perceel te bekijken.